Tax Sale Property in La Vallée-de-l'Or, Quebec
188, route 113 Nord, à Senneterre, province de Québec, J0Y 2M0.
‐ LN: 5 750 020

Property Unique ID: Y41r76jr

  • Status: Inactive
  • Sale Type: Public Auction
  • Tax sale date: Jun 09, 2022
  • Release date: Apr 06, 2022
  • Province: Quebec
  • Municipality: La Vallée-de-l'Or
  • Address: 188, route 113 Nord, à Senneterre, province de Québec, J0Y 2M0.
  • LN: 5 750 020
  • Property size: Unknown
  • Zoning: Unknown
  • Near water? Yes
  • Property on a lake or a bay or a river? Yes
  • Waterfront? Yes
  • Accessible by public/private road? Yes
  • House or cottage on the property? Yes
  • Other structure on the property? Yes
  • Farmland? No
  • Residential? Unknown
  • Commercial or industrial? Unknown
  • Vacant land? Unknown
  • Redeemable 12 months
Title Search Report

Title Search Report

Do you want to know everything about the property before buying it?

Find out what mortgages, liens, etc. will affect the property after the tax sale.

The listed price is for a single pin; for multiple pins within a tax sale, reach out to us to determine the cost of a title search.

$149.95
Available only for active tenders

Become a member and save save more than 50% on every Title Search Summary purchase!

Minimum Bid

$4,579.06  CAD

Assessed Value

Unknown

Share:

  • Property Unique ID: Y41r76jr
  • Published: April 20, 2022

Sign Up Now to Unlock Hidden Information

Sign Up For Free

Description

Avis de vente pour défaut de paiement de l’impôt foncier est par la présente donné, par le soussigné, Christian Riopel, greffier-trésorier de la municipalité régionale de comté de La Vallée-de-l’Or, que les immeubles désignés ci-après, sur lesquels les taxes municipales et/ou scolaires n’ont pas été payées en tout ou en partie, seront vendus à l’enchère publique.

Vente à l’enchère publique 2022

Ladite vente à l’enchère publique aura lieu à l’édifice de la municipalité régionale de comté de La Vallée-de-l’Or au 42, place Hammond à Val-d’Or, lieu ordinaire des sessions de ce conseil, le second jeudi du mois de juin 2022, soit le neuvième (9e) jour de juin 2022, à 10 h.

Ladite vente à l’enchère publique aura lieu à l’édifice de la municipalité régionale de comté de La Vallée-de-l’Or au 42, place Hammond à Val-d’Or, lieu ordinaire des sessions de ce conseil, le second jeudi du mois de juin 2022, soit le neuvième (9e) jour de juin 2022, à 10 h.

Seront exclus de la vente à l’enchère, les immeubles pour lesquels les taxes municipales et/ou scolaires en souffrance, incluant les intérêts et les frais, auront été acquittés avant le temps fixé pour la vente.

Les immeubles seront vendus avec bâtisses dessus érigées, circonstances et dépendances, s’il y a lieu.

Tous ces lots font partie de la circonscription foncière d’Abitibi.

L’adjudicataire de chacun des immeubles devra immédiatement acquitter le prix d’adjudication en argent comptant, Interac, carte de crédit, traite bancaire ou par chèque visé, à défaut de quoi l’immeuble sera remis en vente sans délai.

Vous êtes acheteur ?

Lors de la vente, si vous faites une enchère sur un immeuble et que celle-ci constitue l’offre la plus élevée, vous serez déclaré adjudicataire de l’immeuble. Vous devrez alors payer sur le champ le montant de votre enchère en argent comptant ou au moyen d’un chèque visé ou certifié, d’un mandat de banque ou de poste, ou par chèque garanti par une lettre de cautionnement irrévocable émise par une institution financière ayant place d’affaires au Québec. Vous recevrez alors en main propre un document officialisant votre statut d’adjudicataire.

Pendant une période d’un an à partir de la date de vente, le propriétaire a le droit de reprendre possession de son immeuble. Pour ce faire, il devra rembourser la MRC du montant que vous avez déboursé lors de la vente, plus 10 % d’intérêts par année, toute fraction d’année étant calculée comme une année complète.

Si le propriétaire ne s’est pas manifesté avant l’expiration du délai d’un an, vous êtes alors en droit d’obtenir un titre de propriété vous conférant officiellement comme nouveau propriétaire de l’immeuble vendu. Un contrat notarié devra alors être préparé, à vos frais, par le notaire de votre choix pour confirmer le transfert de propriété.

À noter que durant l’année suivant l’adjudication, il vous est interdit d’altérer la propriété, d’y apporter des modifications ou améliorations ni de couper du bois.

Legal Description

DURANSEAU, Michel; Le lot cinq millions sept cent cinquante mille vingt (5 750 020), au cadastre du Québec, circonscription foncière d’Abitibi.; 188, route 113 Nord, à Senneterre, province de Québec, J0Y 2M0.; Taxes municipales : 4 196,74 $; Taxes scolaires: 382,32 $

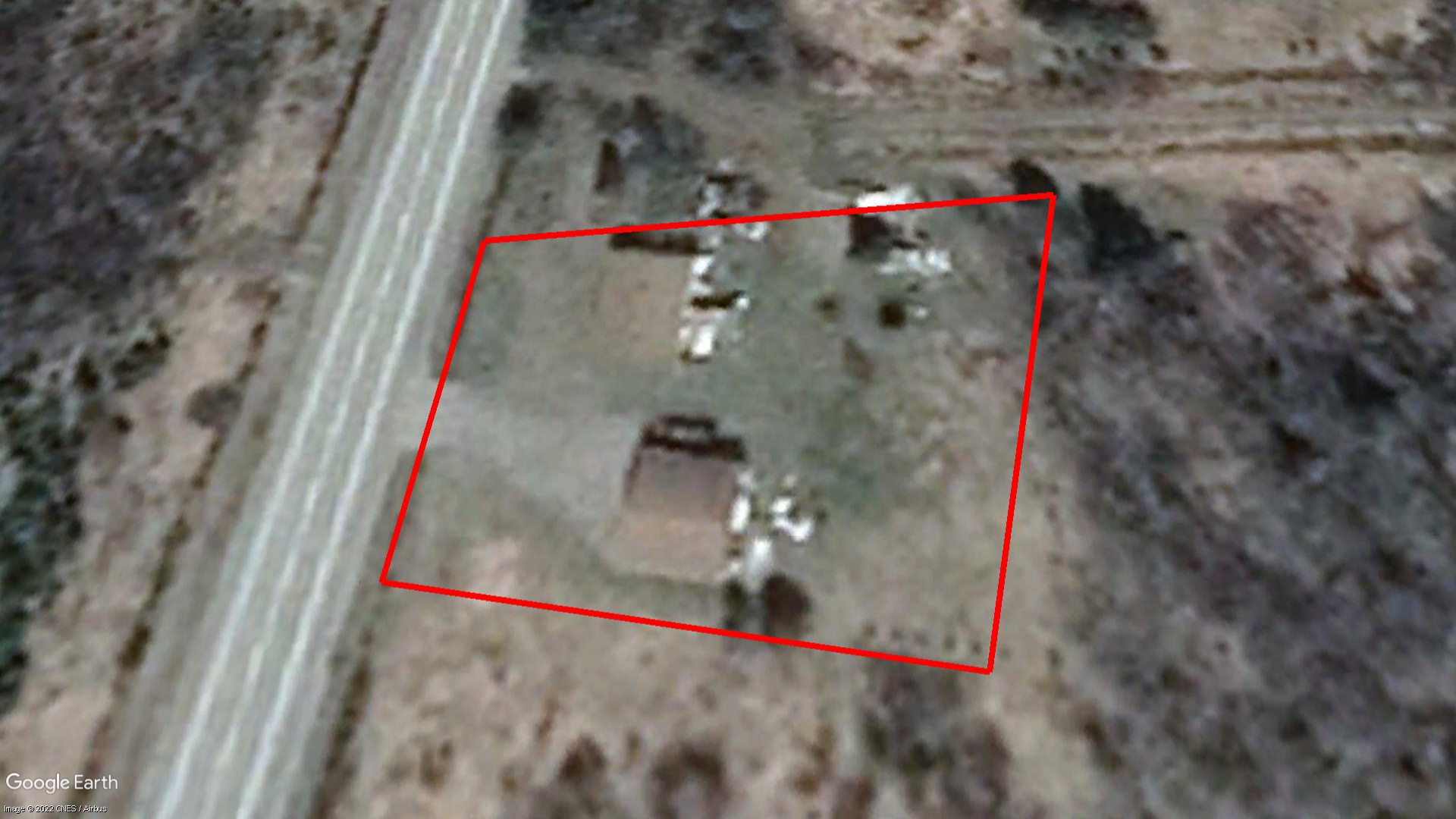
Location on Map

188, route 113 Nord, à Senneterre, province de Québec, J0Y 2M0.

Quebec tax sale properties buyer's guide

Before you go for a tax sale public auction consider the following:

Before you make a final decision to buy a tax sale property, be aware of the following: 

The municipality does not hold the title of the estate or any other matter concerning the lands to be sold. The property value can be much higher or much less than the minimum bid. 

It is up to you to examine this property to see if it is a good investment and to investigate the statutory requirements and tax sale provisions. 

Therefore, we highly recommend you to check the title and executions to see what will stay on the title and become your duty after the execution. Is the property subject to attributable holders' easements, limits and/or adverse possession? Do the condition of the property, land use, zoning, etc. fit into your property plans? 

  1. This process is buyer beware. You must undertake due diligence with respect to all aspects of the property.

Therefore, it is important to do your homework before a public auction. 

  1. You may drive past the property, but site visits are not available.

Thanks for your patience while I finished this up! See all documents attached with Track Changes; there's also a couple small comments where I had questions about what you wanted. My comments are in purple and the text is highlighted in yellow. Let me know if you have questions! Thanks, 

IMPORTANT: YOU ARE NOT ALLOWED TO GO ON PROPERTY TERRITORY. 

  1. There is no vacant possession. The successful bidder will not receive a key to the property. The successful bidder is responsible for the eviction process if necessary.
  2. You should check if there are any Federal or Provincial liens on title. We recommend you do a title search before going for a public auction.

A Title Search Report can be ordered from the tender page on www.taxsaleshub.ca. It'll be ready in 1-2 business days. 

  1. You should investigate zoning, planning or building restrictions, and work orders.

Some municipal websites have a "Find Your Zoning" page, where you can find out zoning by the roll number. And, of course, you can always go to City Hall and do your research. 

  1. You are responsible for any environmental concerns if there are contamination issues with the property.
  2. We recommend retaining a lawyer to protect your interests before submitting a bid.

In order to determine what interests will affect a property after a tax sale, you will need to obtain an up-to-date title search report. Members can order reports directly from our site. An in-house title report specialist will prepare a "Title Search Report" in simple, easy-to-understand language. The Report will tell you if any encumbrances will remain against the property after the tax sale. 

By having a Title Search Report updated 1-2 business days before the auction is going to be held, you will be able to see if any new mortgages or other significant interests against the property have been registered since your first search was conducted. You might find that they have and decide not to go for a public auction. 

  1. Decide how much you are willing to pay for the property

Since the tax sale is held as a public auction, others will likely be bidding. The person with the highest bid will be permitted to purchase the property. No one else will be given the opportunity to make the purchase. You should decide the maximum amount you are willing to pay for a tax sale. The amount has to be no less than the minimum bid set per property.