Tax Sale Property in Montcalm, Quebec
548 COTE SAINT-AMBROISE
‐ LN: 2 565 132 & 2 565 133 & 2 565 850

Property Unique ID: 94GbGx7N

  • Status: Cancelled
  • Sale Type: Public Auction
  • Tax sale date: Sep 11, 2025
  • Release date: Aug 24, 2025
  • Province: Quebec
  • Municipality: Montcalm
  • Address: 548 COTE SAINT-AMBROISE
  • LN: 2 565 132 & 2 565 133 & 2 565 850
  • Property size: Unknown
  • Zoning: Unknown
  • Near water? No
  • Property on a lake or a bay or a river? No
  • Waterfront? No
  • Accessible by public/private road? Yes
  • House or cottage on the property? Unknown
  • Other structure on the property? Yes
  • Farmland? No
  • Residential? Unknown
  • Commercial or industrial? Unknown
  • Vacant land? No
  • Redeemable 12 months
Title Search Report

Title Search Report

Do you want to know everything about the property before buying it?

Find out what mortgages, liens, etc. will affect the property after the tax sale.

The listed price is for a single pin; for multiple pins within a tax sale, reach out to us to determine the cost of a title search.

$149.95
Available only for active tenders

Become a member and save save more than 50% on every Title Search Summary purchase!

Minimum Bid

$2,970.97  CAD

Assessed Value

Unknown

Share:

  • Property Unique ID: 94GbGx7N
  • Published: August 27, 2025

Sign Up Now to Unlock Hidden Information

Sign Up For Free

Description

Date de la vente : 11 septembre 2025
Début de la vente : 9 h
Lieu : En ligne 

Une personne physique doit détenir :

  • Deux pièces d’identité valides comprenant : photo, nom, date de naissance, adresse résidentielle complète;
  • Si elle est représentée par une autre personne, en plus des documents déjà cités pour l’acheteur, un mandat ou une procuration est nécessaire.

Seuls les chèques visés, traites bancaires et paiements en argent comptant sont acceptés. Aucun paiement par carte ne sera accepté.

Exceptionnellement, un virement bancaire peut être autorisé, mais doit faire l’objet d’un accord préalable avec la MRC. Cette dernière se réserve le droit de refuser ce mode de paiement.

Pendant une période d’un an à compter de la date de la vente aux enchères, le propriétaire de l’immeuble vendu a le droit d’en reprendre possession. Pour ce faire, il devra rembourser le montant que vous avez déboursé lors de la vente, les dépenses encourues pour conserver l’immeuble en bon état, les taxes scolaires et municipales qui ont pu s’ajouter à la suite de la vente ainsi que les intérêts légaux pour l’année, toute fraction d’année étant calculée comme une année complète. En retour, vous recevrez le montant déboursé lors de la vente, auquel sera additionné 7,5 % à titre d’intérêts.

Aussi, à titre d’adjudicataire et en cas de retrait de l’immeuble par le propriétaire ou un tiers, vous pourriez vous faire rembourser du propriétaire, ou d’un tiers qui exerce le retrait, le coût de toutes les réparations et améliorations nécessaires (par exemple : en cas d’inondation ou lorsqu’une toiture présente une sérieuse fuite d’eau mettant en péril l’état de l’immeuble), que vous aurez eu l’obligation de faire sur l’immeuble depuis la vente, pour le conserver. Le remboursement de ces sommes doit être réclamé directement au propriétaire ou au tiers qui exerce le retrait. La MRC n’est en aucun cas responsable du traitement de ces réclamations.

Si le propriétaire ne s’est pas manifesté avant l’expiration du délai d’un an, vous êtes alors en droit d’obtenir un titre de propriété vous conférant officiellement comme le nouveau propriétaire de l’immeuble vendu. Vous devrez cependant acquitter toutes taxes scolaires et municipales, ainsi que leurs intérêts, qui ont pu s’ajouter à la suite de la vente. Un contrat de vente devra alors être préparé, à vos frais, soit par la MRC ou par un notaire pour confirmer le transfert de propriété.

  • Il est maintenant possible de procéder à une préinscription, le tout s'effectue à partir du site Internet suivant : https://www.govpt.ca/
  • **Des vidéos explicatives seront disponibles sous peu et vous expliqueront notamment la procédure d'inscription, le déroulement d'une enchère en ligne et les meilleures pratiques.**
  • Les seules formes de paiements acceptés sont : argent comptant / traite bancaire (libellé au nom de la MRC de Montcalm) / chèque certifié (libellé au nom de la MRC de Montcalm) et mandat poste (libellé au nom de la MRC de Montcalm).
  • Si le paiement s'effectue avec une traite bancaire, un chèque visé ou un mandat poste et que le montant est plus élevé que le montant de l’immeuble acheté, la MRC émettra un chèque de remboursement de la plus-value qui a été payée.
  • Il est possible d’obtenir certains renseignements sur les immeubles en vente tels que l’usage et le zonage, et ce, en communiquant avec la municipalité concernée.
  • Il n’est pas possible de visiter les immeubles avec bâtiment mis en vente.
  • La mise à prix minimale est le total des sommes dues + des frais qui seront ajoutés le jour de la vente.

 

Legal Description

VT-MON/2025-245; 9382-3227 QUEBEC INC; 548 COTE SAINT-AMBROISE; SAINT-LIN-LAURENTIDES; 2 565 132; 2 565 133; 2 565 850; Un immeuble connu et désigné comme étant le lot 2 565 132,2 565 133,2 565 850 du cadastre du Québec, circonscription foncière de L'Assomption; 2845.15 $; 125.82 $

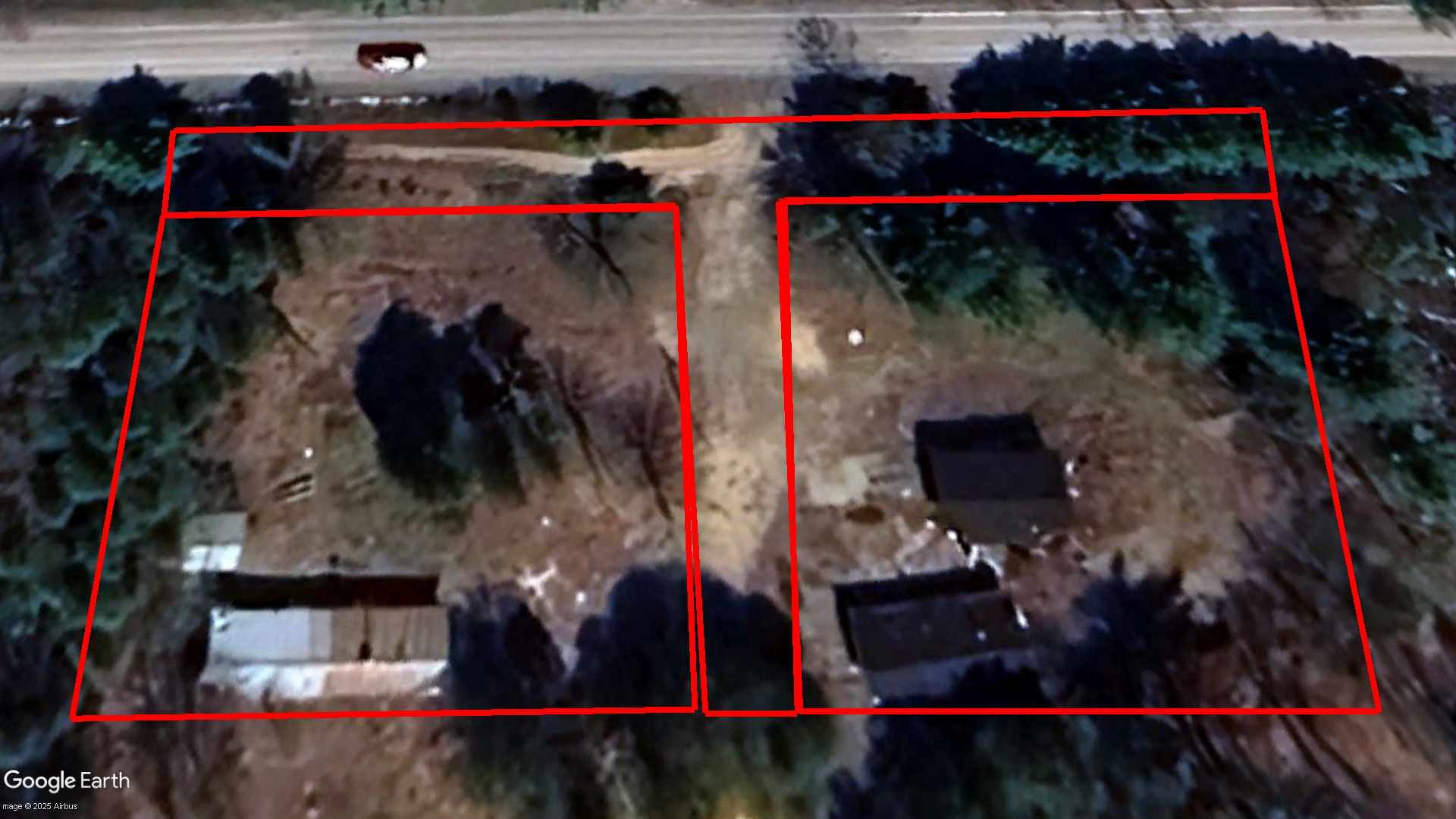
Location on Map

548 COTE SAINT-AMBROISE

Quebec tax sale properties buyer's guide

Before you go for a tax sale public auction consider the following:

Before you make a final decision to buy a tax sale property, be aware of the following: 

The municipality does not hold the title of the estate or any other matter concerning the lands to be sold. The property value can be much higher or much less than the minimum bid. 

It is up to you to examine this property to see if it is a good investment and to investigate the statutory requirements and tax sale provisions. 

Therefore, we highly recommend you to check the title and executions to see what will stay on the title and become your duty after the execution. Is the property subject to attributable holders' easements, limits and/or adverse possession? Do the condition of the property, land use, zoning, etc. fit into your property plans? 

  1. This process is buyer beware. You must undertake due diligence with respect to all aspects of the property.

Therefore, it is important to do your homework before a public auction. 

  1. You may drive past the property, but site visits are not available.

Thanks for your patience while I finished this up! See all documents attached with Track Changes; there's also a couple small comments where I had questions about what you wanted. My comments are in purple and the text is highlighted in yellow. Let me know if you have questions! Thanks, 

IMPORTANT: YOU ARE NOT ALLOWED TO GO ON PROPERTY TERRITORY. 

  1. There is no vacant possession. The successful bidder will not receive a key to the property. The successful bidder is responsible for the eviction process if necessary.
  2. You should check if there are any Federal or Provincial liens on title. We recommend you do a title search before going for a public auction.

A Title Search Report can be ordered from the tender page on www.taxsaleshub.ca. It'll be ready in 1-2 business days. 

  1. You should investigate zoning, planning or building restrictions, and work orders.

Some municipal websites have a "Find Your Zoning" page, where you can find out zoning by the roll number. And, of course, you can always go to City Hall and do your research. 

  1. You are responsible for any environmental concerns if there are contamination issues with the property.
  2. We recommend retaining a lawyer to protect your interests before submitting a bid.

In order to determine what interests will affect a property after a tax sale, you will need to obtain an up-to-date title search report. Members can order reports directly from our site. An in-house title report specialist will prepare a "Title Search Report" in simple, easy-to-understand language. The Report will tell you if any encumbrances will remain against the property after the tax sale. 

By having a Title Search Report updated 1-2 business days before the auction is going to be held, you will be able to see if any new mortgages or other significant interests against the property have been registered since your first search was conducted. You might find that they have and decide not to go for a public auction. 

  1. Decide how much you are willing to pay for the property

Since the tax sale is held as a public auction, others will likely be bidding. The person with the highest bid will be permitted to purchase the property. No one else will be given the opportunity to make the purchase. You should decide the maximum amount you are willing to pay for a tax sale. The amount has to be no less than the minimum bid set per property.