Tax Sale Property in Les Pays-d'en-Haut, Quebec
‐ LN: 2 493 409

Property Unique ID: 94lM2JBj

  • Status: Inactive
  • Sale Type: Public Auction
  • Tax sale date: Jun 18, 2025
  • Release date: Apr 18, 2025
  • Province: Quebec
  • Municipality: Les Pays-d'en-Haut
  • Address: Not available
  • LN: 2 493 409
  • Property size: Unknown
  • Zoning: Unknown
  • Near water? No
  • Property on a lake or a bay or a river? No
  • Waterfront? No
  • Accessible by public/private road? Yes
  • House or cottage on the property? No
  • Other structure on the property? No
  • Farmland? No
  • Residential? No
  • Commercial or industrial? No
  • Vacant land? Yes
  • Redeemable 12 months
Title Search Report

Title Search Report

Do you want to know everything about the property before buying it?

Find out what mortgages, liens, etc. will affect the property after the tax sale.

The listed price is for a single pin; for multiple pins within a tax sale, reach out to us to determine the cost of a title search.

$149.95
Available only for active tenders

Become a member and save save more than 50% on every Title Search Summary purchase!

Minimum Bid

$3.34  CAD

Assessed Value

Unknown

Share:

  • Property Unique ID: 94lM2JBj
  • Published: April 22, 2025

Sign Up Now to Unlock Hidden Information

Sign Up For Free

Description

 AVIS PUBLIC est, par les présentes, donné par Mélissa Bergeron-Champagne, greffière trésorière adjointe de la Municipalité Régionale de Comté des Pays-d’en-Haut, corporation légalement constituée, ayant son siège social au 1014, rue Valiquette, Sainte-Adèle, Québec, J8B 2M3, pour les municipalités et villes de son territoire, conformément au Code municipal du Québec et à la résolution CM 40-01-02, que les immeubles ci-après désignés seront vendus à l’enchère publique, au Ski Chantecler situé au 432, chemin du Mont-Loup-Garou, Sainte-Adèle, province de Québec, le dix-huit juin deux mille vingt-cinq (18 juin 2025) , à 10h00, pour satisfaire au paiement des taxes municipales et/ou scolaires, des intérêts et des frais de la vente, à moins que ces taxes, intérêts et frais n’aient été payés avant cette date. Le paiement pour retirer l’immeuble de la vente doit être effectué par traite bancaire, chèque visé ou mandat-poste payable à l’ordre de MRC des Pays-d’en-Haut, ou en argent comptant (montant maximal de 9 999,99 $), ou par transfert entre membres Desjardins (montant maximal de 5 000,00 $), par transfert entre institutions bancaires (SIPC) ou par transfert SWIFT. Dans tous les cas, avant de faire un paiement, vous êtes priés de communiquer avec Noémie Chamberland au 450 229-6637 poste 146 ou par courriel à vpt@mrcpdh.org

 AVIS EST ÉGALEMENT DONNÉ QUE : 

Les immeubles mentionnés comprendront les bâtisses et dépendances lorsque construits, ainsi que toutes servitudes actives, passives, apparentes ou occultes affectant les propriétés. 

Les immeubles seront vendus sans aucune garantie légale, aux risques et périls de l’acheteur. 

Pour toute information concernant le zonage, veuillez-vous référer à la municipalité concernée. 

 Le jour de la vente, le prix d’adjudication devra être payé immédiatement par traite bancaire, chèque visé ou mandat-poste payable à l’ordre de MRC des Pays-d’en-Haut ou en argent comptant (montant maximal de 9 999,99 $) à défaut de quoi l’immeuble sera remis immédiatement en vente. Dans certains cas, la taxe fédérale sur les produits et services (TPS) et la taxe de vente du Québec (TVQ) s’appliqueront; un adjudicataire qui est inscrit aux fichiers de la TPS et de la TVQ devra fournir ses preuves d’inscription au moment de l’adjudication. 

 Tout adjudicataire devra présenter deux (2) pièces d’identité valides et jugées valables, dont une (1) avec photo. Toute personne qui enchérira pour une autre personne devra présenter une copie de la pièce justificative l’autorisant à agir, soit une procuration, à titre de représentant d’une personne physique ou une résolution du conseil d’administration, à titre de représentant d’une personne morale, laquelle devra par ailleurs être en règle dans les registres gouvernementaux. Ce représentant devra présenter deux (2) pièces d’identité valides et jugées valables, dont une (1) avec photo. À défaut de fournir les documents requis, l’immeuble sera remis immédiatement en vente. 

Legal Description

9199-8062 Quebec Inc ; boulevard de Sainte-Adele ; Tx mun. 3,34 $ ; Tx scol. Lau. 0 ; Lot 2 493 409 C.F. Terrebonne

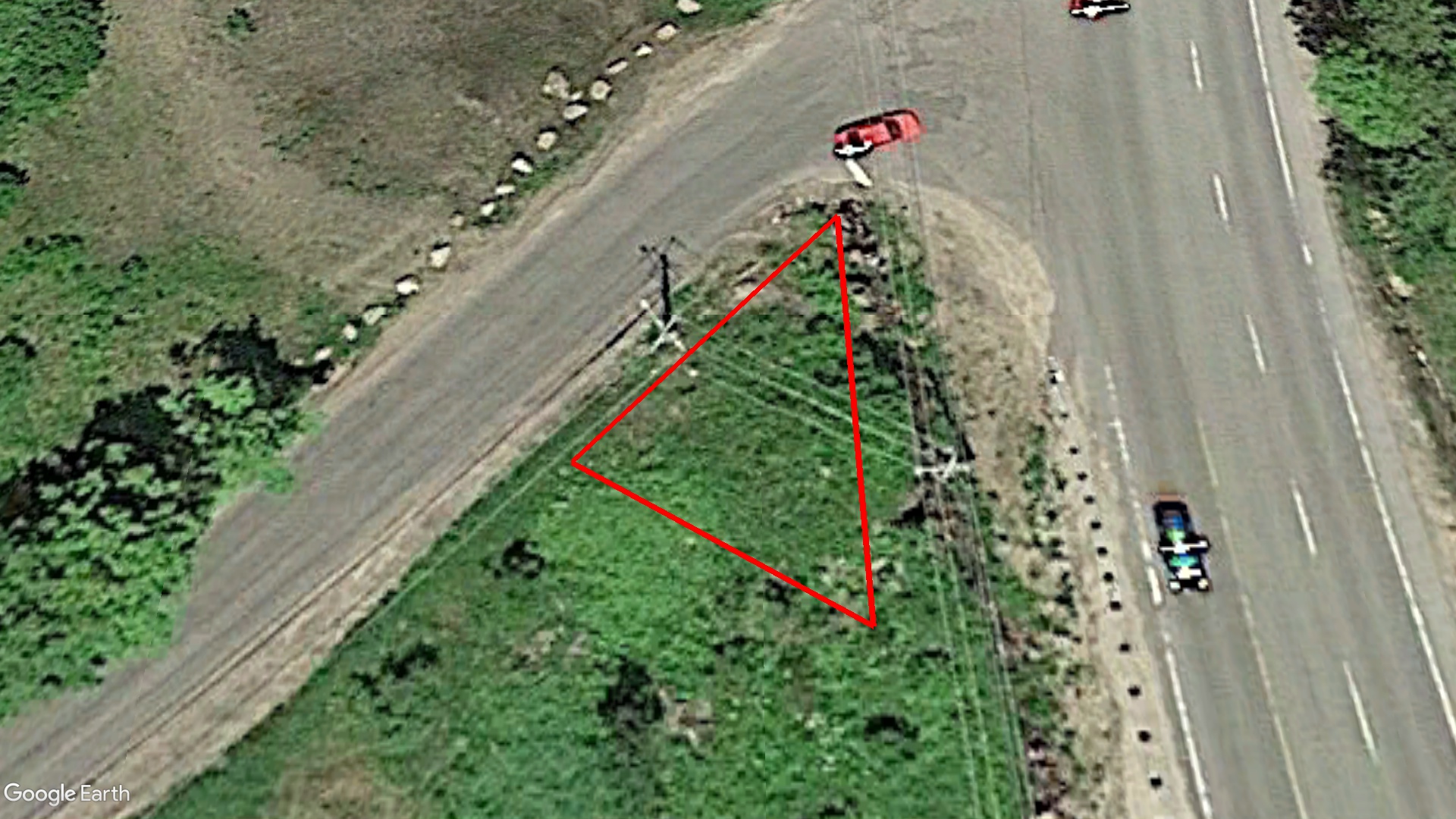
Location on Map

Quebec tax sale properties buyer's guide

Before you go for a tax sale public auction consider the following:

Before you make a final decision to buy a tax sale property, be aware of the following: 

The municipality does not hold the title of the estate or any other matter concerning the lands to be sold. The property value can be much higher or much less than the minimum bid. 

It is up to you to examine this property to see if it is a good investment and to investigate the statutory requirements and tax sale provisions. 

Therefore, we highly recommend you to check the title and executions to see what will stay on the title and become your duty after the execution. Is the property subject to attributable holders' easements, limits and/or adverse possession? Do the condition of the property, land use, zoning, etc. fit into your property plans? 

  1. This process is buyer beware. You must undertake due diligence with respect to all aspects of the property.

Therefore, it is important to do your homework before a public auction. 

  1. You may drive past the property, but site visits are not available.

Thanks for your patience while I finished this up! See all documents attached with Track Changes; there's also a couple small comments where I had questions about what you wanted. My comments are in purple and the text is highlighted in yellow. Let me know if you have questions! Thanks, 

IMPORTANT: YOU ARE NOT ALLOWED TO GO ON PROPERTY TERRITORY. 

  1. There is no vacant possession. The successful bidder will not receive a key to the property. The successful bidder is responsible for the eviction process if necessary.
  2. You should check if there are any Federal or Provincial liens on title. We recommend you do a title search before going for a public auction.

A Title Search Report can be ordered from the tender page on www.taxsaleshub.ca. It'll be ready in 1-2 business days. 

  1. You should investigate zoning, planning or building restrictions, and work orders.

Some municipal websites have a "Find Your Zoning" page, where you can find out zoning by the roll number. And, of course, you can always go to City Hall and do your research. 

  1. You are responsible for any environmental concerns if there are contamination issues with the property.
  2. We recommend retaining a lawyer to protect your interests before submitting a bid.

In order to determine what interests will affect a property after a tax sale, you will need to obtain an up-to-date title search report. Members can order reports directly from our site. An in-house title report specialist will prepare a "Title Search Report" in simple, easy-to-understand language. The Report will tell you if any encumbrances will remain against the property after the tax sale. 

By having a Title Search Report updated 1-2 business days before the auction is going to be held, you will be able to see if any new mortgages or other significant interests against the property have been registered since your first search was conducted. You might find that they have and decide not to go for a public auction. 

  1. Decide how much you are willing to pay for the property

Since the tax sale is held as a public auction, others will likely be bidding. The person with the highest bid will be permitted to purchase the property. No one else will be given the opportunity to make the purchase. You should decide the maximum amount you are willing to pay for a tax sale. The amount has to be no less than the minimum bid set per property.