Tax Sale Property in Etchemins, Quebec
2305, 8e rue Saint-Prosper (QC) G0M 1Y0
AN: 0321-90-8766 ‐ LN: 3 947 294

Property Unique ID: 9AkzLP0j

  • Status: Inactive
  • Sale Type: Public Auction
  • Tax sale date: May 09, 2024
  • Release date: Mar 27, 2024
  • Province: Quebec
  • Municipality: Etchemins
  • Address: 2305, 8e rue Saint-Prosper (QC) G0M 1Y0
  • AN: 0321-90-8766
  • LN: 3 947 294
  • Property size: Unknown
  • Zoning: Unknown
  • Near water? No
  • Property on a lake or a bay or a river? No
  • Waterfront? No
  • Accessible by public/private road? Yes
  • House or cottage on the property? Unknown
  • Other structure on the property? Yes
  • Farmland? No
  • Residential? Yes
  • Commercial or industrial? Unknown
  • Vacant land? No
  • Redeemable 12 months
Title Search Report

Title Search Report

Do you want to know everything about the property before buying it?

Find out what mortgages, liens, etc. will affect the property after the tax sale.

The listed price is for a single pin; for multiple pins within a tax sale, reach out to us to determine the cost of a title search.

$149.95
Available only for active tenders

Become a member and save save more than 50% on every Title Search Summary purchase!

Minimum Bid

$3,610.46  CAD

Assessed Value

Unknown

Share:

  • Property Unique ID: 9AkzLP0j
  • Published: March 28, 2024

Sign Up Now to Unlock Hidden Information

Sign Up For Free

Description

AVIS PUBLIC est, par les présentes, donné par la soussignée , Judith Leblond, en sa qualité de greffière-trésorière de la MRC des Etchemins, que les immeubles ci-après désignés seront vendus à l’enchère publique, selon les dispositions du Code municipal, au Centre des arts et de la culture, 1470, route 277 à Lac-Etchemin le 9 mai 2024 à 10 h, pour satisfaire aux taxes municipales et scolaires impayées, avec intérêts, pénalité et frais encourus, à moins que ces taxes, intérêts, pénalité et frais ne soient payés avant la vente (selon les sommes qui seront dues au moment du paiement).

Conditions pour enchérir :
Personne physique : (pièce d’identité)
− Nom
− Date de naissance
− Adresse résidentielle complète et postale, s’il y a lieu
− Mandat ou procuration si elle représente une autre personne physique

Personne morale :
− Nom
− Forme juridique et loi constitutive (no NEQ)
− Adresse complète et postale du siège social

Pour le représentant d’une personne morale : (pièce d’identité)
− Nom
− Qualité du représentant (mandataire)
− Copie de la pièce justificative l’autorisant à agir (ex : résolution, mandat, procuration ou autre)
Mode de paiement :
Paiement complet dès l’adjudication :
− Argent comptant
− Mandat poste, traite ou mandat bancaire ou chèque visé fait à l’ordre de MRC des Etchemins.

Legal Description

Marie-Andrée Lalonde; 2305, 8e rue Saint-Prosper (QC) G0M 1Y0; Lot : 3 947 294; Matricule: 0321-90-8766; 3 610.46 $

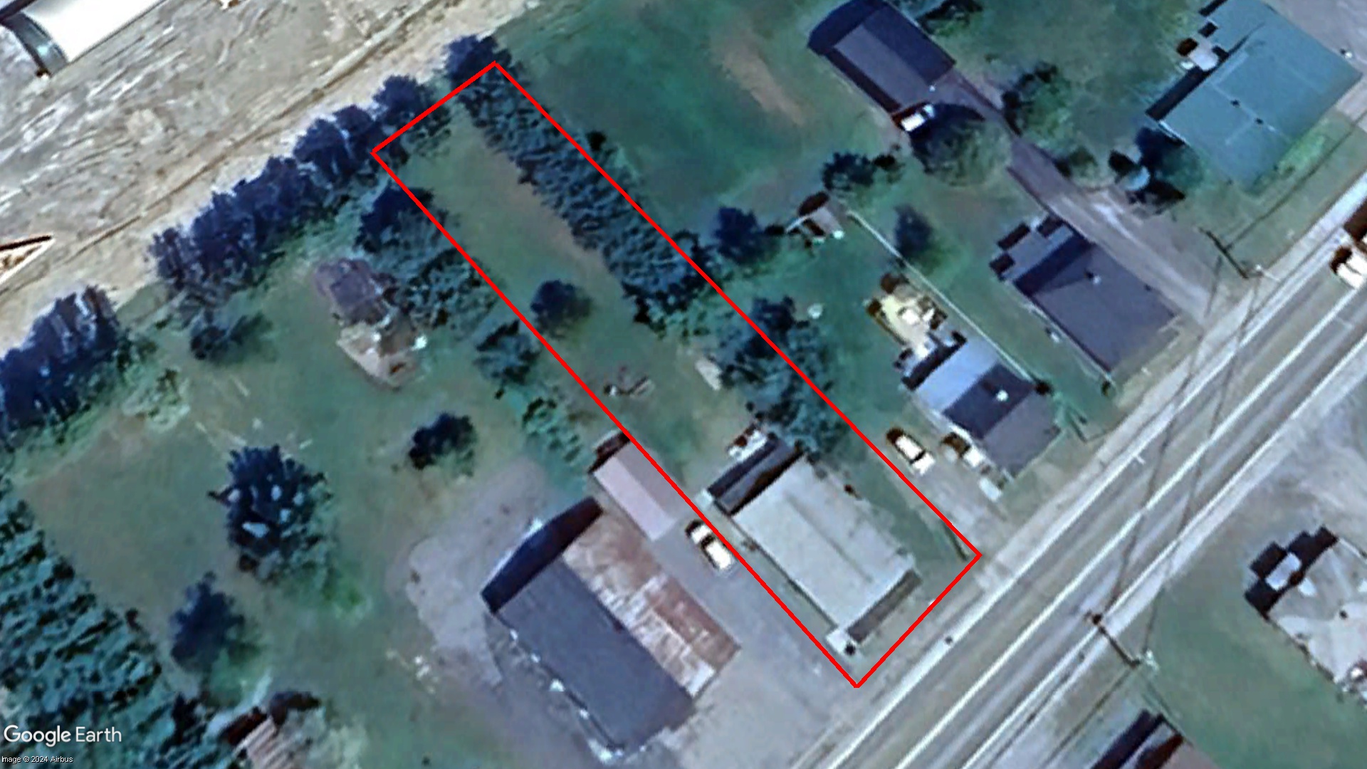
Location on Map

2305, 8e rue Saint-Prosper (QC) G0M 1Y0

Quebec tax sale properties buyer's guide

Before you go for a tax sale public auction consider the following:

Before you make a final decision to buy a tax sale property, be aware of the following: 

The municipality does not hold the title of the estate or any other matter concerning the lands to be sold. The property value can be much higher or much less than the minimum bid. 

It is up to you to examine this property to see if it is a good investment and to investigate the statutory requirements and tax sale provisions. 

Therefore, we highly recommend you to check the title and executions to see what will stay on the title and become your duty after the execution. Is the property subject to attributable holders' easements, limits and/or adverse possession? Do the condition of the property, land use, zoning, etc. fit into your property plans? 

  1. This process is buyer beware. You must undertake due diligence with respect to all aspects of the property.

Therefore, it is important to do your homework before a public auction. 

  1. You may drive past the property, but site visits are not available.

Thanks for your patience while I finished this up! See all documents attached with Track Changes; there's also a couple small comments where I had questions about what you wanted. My comments are in purple and the text is highlighted in yellow. Let me know if you have questions! Thanks, 

IMPORTANT: YOU ARE NOT ALLOWED TO GO ON PROPERTY TERRITORY. 

  1. There is no vacant possession. The successful bidder will not receive a key to the property. The successful bidder is responsible for the eviction process if necessary.
  2. You should check if there are any Federal or Provincial liens on title. We recommend you do a title search before going for a public auction.

A Title Search Report can be ordered from the tender page on www.taxsaleshub.ca. It'll be ready in 1-2 business days. 

  1. You should investigate zoning, planning or building restrictions, and work orders.

Some municipal websites have a "Find Your Zoning" page, where you can find out zoning by the roll number. And, of course, you can always go to City Hall and do your research. 

  1. You are responsible for any environmental concerns if there are contamination issues with the property.
  2. We recommend retaining a lawyer to protect your interests before submitting a bid.

In order to determine what interests will affect a property after a tax sale, you will need to obtain an up-to-date title search report. Members can order reports directly from our site. An in-house title report specialist will prepare a "Title Search Report" in simple, easy-to-understand language. The Report will tell you if any encumbrances will remain against the property after the tax sale. 

By having a Title Search Report updated 1-2 business days before the auction is going to be held, you will be able to see if any new mortgages or other significant interests against the property have been registered since your first search was conducted. You might find that they have and decide not to go for a public auction. 

  1. Decide how much you are willing to pay for the property

Since the tax sale is held as a public auction, others will likely be bidding. The person with the highest bid will be permitted to purchase the property. No one else will be given the opportunity to make the purchase. You should decide the maximum amount you are willing to pay for a tax sale. The amount has to be no less than the minimum bid set per property.