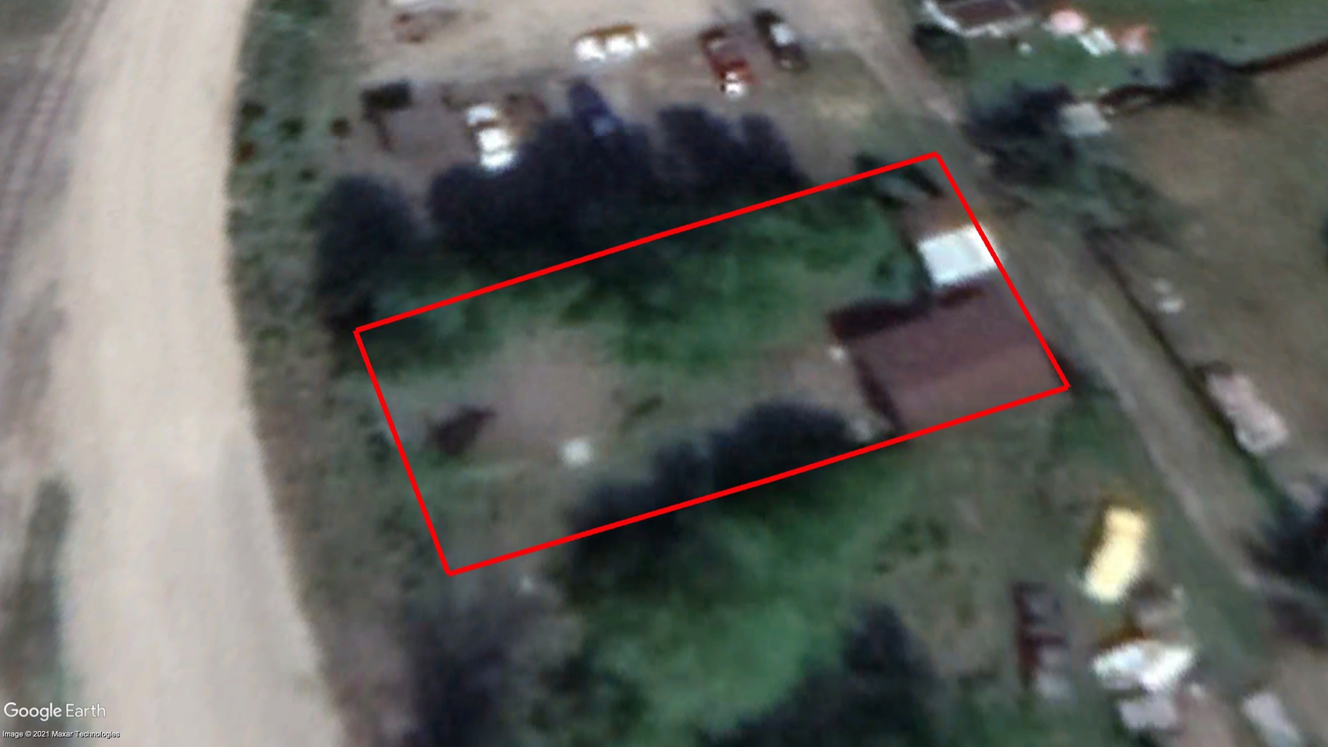
Tax Sale Property in White River, Ontario
ROLL: 57 91 000 001 03600 0000 ‐ PIN: 31082-0510

Property Unique ID: XAvLJO45

  • Status: Inactive
  • Sale Type: Public Tender
  • Tax sale date: Apr 29, 2021
  • Release date: Apr 17, 2021
  • Province: Ontario
  • Municipality: White River
  • Address: Not available
  • ROLL: 57 91 000 001 03600 0000
  • PIN: 31082-0510
  • Property size: Unknown
  • Zoning: Unknown
  • Near water? Yes
  • Property on a lake or a bay or a river? No
  • Waterfront? No
  • Accessible by public/private road? Yes
  • House or cottage on the property? Yes
  • Other structure on the property? No
  • Farmland? No
  • Residential? Unknown
  • Commercial or industrial? Unknown
  • Vacant land? Unknown
Title Search Report

Title Search Report

Do you want to know everything about the property before buying it?

Find out what mortgages, liens, etc. will affect the property after the tax sale.

The listed price is for a single pin; for multiple pins within a tax sale, reach out to us to determine the cost of a title search.

$149.95
Available only for active tenders

Become a member and save save more than 50% on every Title Search Summary purchase!

Minimum Bid

$24,000.00  CAD

Assessed Value

$24,000.00  CAD

Share:

  • Property Unique ID: XAvLJO45
  • Published: April 17, 2021

Sign Up Now to Unlock Hidden Information

Sign Up For Free

Location on Map

Ontario tax sale properties buyer's guide

Before you submit a tender for a tax sale property, be aware of the following:

The municipality does not hold the title of the estate or any other matter concerning the lands to be sold. The property can be much higher or much less than the tender minimum.

It is up to you to examine this property to see if it is a good investment and to investigate the statutory requirements and tax sale provisions.

Therefore, we highly recommend you to check the title and executions to see what will stay on the title and become your duty after the execution. In most cases, if at the time the tax deed is registered the estate is subject to a crown interest (such as a mortgage, lien or execution), when you become the holder it will continue to be subject to that crown interest. Is the property subject to attributable holders ' easements, limits and/or adverse possession? Does the condition of the property, land use, zoning, etc. fit into your property plans? 

  1. This process is buyer beware. You must undertake due diligence with respect to all aspects of the property.

    Therefore it is important to do your homework before tender.

  2. You may drive past the property, but site visits are not available.

    Use google map street view on the property page to have a closer look. Since google map photos could be deprecated and if the property you are interesting in is not so far, it's a good idea to drive there and have a look yourself.

    IMPORTANT: YOU ARE NOT ALLOWED TO GO ON PROPERTY TERRITORY.

  3. There is no vacant possession. The successful bidder will not receive a key to the property. The successful bidder is responsible for the eviction process if necessary.
  4. You are responsible for any Federal or Provincial liens on title. We recommend you do a title search before submitting your bid.

    Title Search Report can be ordered from the tender page on www.taxsaleshub.ca. It'll be ready in 1-2 business days.

  5. You should investigate zoning, planning or building restrictions, and work orders.

    Some municipal websites have "Find Your Zoning" page, where you can find out zoning by the roll number. And, of course, you can always go to City Hall and do your research.

  6. You are responsible for any environmental concerns if there are contamination issues with the property.
  7. We recommend to retain a lawyer to protect your interests before submitting a bid.

In order to determine what interests will affect a property after a tax sale, you will need to obtain an up-to-date title search report and an execution search report. Members can order reports directly from our site. An in-house title report specialist will prepare a "Title Search Report" in simple easy to understand language. The Report will tell you if any encumbrances will remain against the property after the tax sale.

By having a Title Search Report Updated on the morning that tenders must be received, you will be able to see if any new mortgages or other significant interests against the property have been registered since your first search was conducted. You might find that they have and want to withdraw your tender. You can do this by either faxing or hand-delivering a request to withdraw your tender directly to the treasurer’s office. It must be received by the treasurer before the final time for receiving tenders has passed.