Tax Sale Property in Yarmouth, Nova Scotia
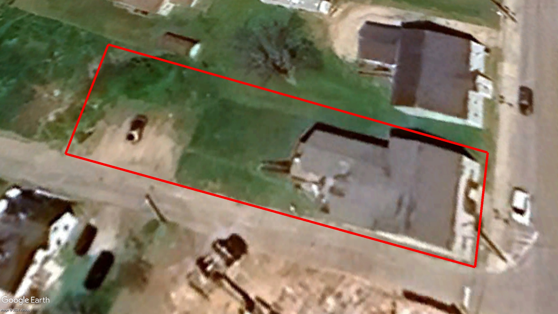
104 MAIN ST.
AAN: 00051616 ‐ PID: 90196692

Property Unique ID: RAgqm884

  • Status: Inactive
  • Sale Type: Public Auction
  • Tax sale date: Feb 21, 2024
  • Release date: Feb 07, 2024
  • Province: Nova Scotia
  • Municipality: Yarmouth
  • Address: 104 MAIN ST.
  • AAN: 00051616
  • PID: 90196692
  • Property size: 9687 Square Foot
  • Zoning: Unknown
  • Near water? Yes
  • Property on a lake or a bay or a river? Yes
  • Waterfront? No
  • Accessible by public/private road? Yes
  • House or cottage on the property? Yes
  • Other structure on the property? No
  • Farmland? No
  • Residential? Yes
  • Commercial or industrial? Unknown
  • Vacant land? No
  • Redeemable 6 months
Title Search Report

Title Search Report

Do you want to know everything about the property before buying it?

Find out what mortgages, liens, etc. will affect the property after the tax sale.

The listed price is for a single pin; for multiple pins within a tax sale, reach out to us to determine the cost of a title search.

$149.95
Available only for active tenders

Become a member and save save more than 50% on every Title Search Summary purchase!

Minimum Bid

$14,119.32  CAD

Assessed Value

Unknown

Share:

  • Property Unique ID: RAgqm884
  • Published: February 12, 2024

Sign Up Now to Unlock Hidden Information

Sign Up For Free

Description

TAKE NOTICE that the lots of land hereinafter described will be sold at Public Auction in the Town Hall, Yarmouth, Nova Scotia on Wednesday, February 21, 2024, Council Chambers, at 10:00 a.m. in the forenoon for arrears and expenses before the time of sale, all sums are paid to the Treasure of the Town of Yarmouth.

Terms: Payment of cash or certified cheque to cover taxes and expenses must be made at the time of sale. Balance of purchase price due within three (3) days. Any sums paid prior to the sale must be in the form of certified funds.

Legal Description

00051616; HARVEY PETER; 104 MAIN ST. DWELLINGS SMALL APARTMENTS; 14,119.32

Location on Map

104 MAIN ST.

Nova Scotia tax sale properties buyer's guide

Before you submit a tender you should consider the following:

Before you submit a tender for a tax sale property, be aware of the following: 

The municipality does not hold the title of the estate or any other matter concerning the lands to be sold. The property value can be much higher or much less than the tender minimum. 

It is up to you to examine this property to see if it is a good investment and to investigate the statutory requirements and tax sale provisions. 

Therefore, we highly recommend you check the title and executions to see what will stay on the title and become your duty after the execution. Is the property subject to attributable holders' easements, limits and/or adverse possession? Do the condition of the property, land use, zoning, etc. fit into your property plans? 

1. This process is buyer beware. You must undertake due diligence with respect to all aspects of the property.

You should check if there are any Federal or Provincial liens on the title. We recommend you do a title search before submitting your bid. A Title Search Report can be ordered from the tender page on www.taxsaleshub.ca. It will be ready in 2 business days. 

We recommend ordering a title search report 5-7 business days before the tender to ensure that it includes all possible new mortgages or other significant interests registered against the property before it was listed for a tax sale.

2. You may drive past the property, but site visits are not available.

Use Google Maps Street View on the property page to have a closer look. Since Google Maps photos could be deprecated and if the property you are interested in is not so far, it's a good idea to drive there and have a look yourself. 

IMPORTANT: YOU ARE NOT ALLOWED TO GO ON PROPERTY TERRITORY.

3. There is no vacant possession. The successful bidder will not receive a key to the property. The successful bidder is responsible for the eviction process if necessary.

4. You should investigate zoning, planning or building restrictions, and work orders.

Some municipal websites have a "Find Your Zoning" page, where you can find out zoning by the roll number. And, of course, you can always go to City Hall and do your research. 

5. You are responsible for any environmental concerns if there are contamination issues with the property.

6. We recommend retaining a lawyer to protect your interests before submitting a bid.