Tax Sale Property in Cape Breton, Nova Scotia
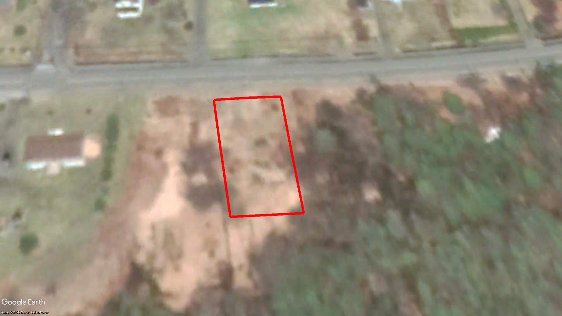
BIRCH GROVE RD LAND, BIRCH GROVE
AAN: 9138137 ‐ PID: 15625809

Property Unique ID: EN5w0qjR

  • Status: Cancelled
  • Sale Type: Public Auction
  • Tax sale date: Mar 16, 2021
  • Release date: Sep 28, 2020
  • Province: Nova Scotia
  • Municipality: Cape Breton
  • Address: BIRCH GROVE RD LAND, BIRCH GROVE
  • AAN: 9138137
  • PID: 15625809
  • Property size: 8800 Square Foot
  • Zoning: Unknown
  • Near water? No
  • Property on a lake or a bay or a river? No
  • Waterfront? No
  • Accessible by public/private road? Yes
  • House or cottage on the property? No
  • Other structure on the property? No
  • Farmland? No
  • Residential? Unknown
  • Commercial or industrial? Unknown
  • Vacant land? Unknown
  • Redeemable 6 months
Title Search Report

Title Search Report

Do you want to know everything about the property before buying it?

Find out what mortgages, liens, etc. will affect the property after the tax sale.

The listed price is for a single pin; for multiple pins within a tax sale, reach out to us to determine the cost of a title search.

$149.95
Available only for active tenders

Become a member and save save more than 50% on every Title Search Summary purchase!

Minimum Bid

$4,778.59  CAD

Assessed Value

$8,500.00  CAD

Potential Revenue

$3,721.41  CAD

Share:

  • Property Unique ID: EN5w0qjR
  • Published: December 14, 2020

Sign Up Now to Unlock Hidden Information

Sign Up For Free

Description

IMPORTANT UPDATE: DEADLINE FOR TENDER AUCTION HAS BEEN EXTENDED TO MARCH 16, 2021. TENDER AUCTION WILL TAKE PLACE MARCH 16TH.


The window for bidding will be from Feb 2, 2021 to 11:00 AM Mar 16, 2021.

The tender package is available for download 👉 here. All information and instructions for bidding will be included in this package.

Covid-19 Information Sheet

Contacts: purchase@cbrm.ns.ca, 902-563-5015, Andrea (Tax Sales Dept) 902-563-5144

Legal Description

PID 15625809 LOT SIZE 8,800 sq. ft. AGE N/A 2020 ASSESSMENT & TAX $8,500 HISTORICAL ASSESSMENT 0% increase (2016-2020) LISTING HISTORY N/A BUILDING PERMITS N/A

Location on Map

BIRCH GROVE RD LAND, BIRCH GROVE

Nova Scotia tax sale properties buyer's guide

Before you submit a tender you should consider the following:

Before you submit a tender for a tax sale property, be aware of the following: 

The municipality does not hold the title of the estate or any other matter concerning the lands to be sold. The property value can be much higher or much less than the tender minimum. 

It is up to you to examine this property to see if it is a good investment and to investigate the statutory requirements and tax sale provisions. 

Therefore, we highly recommend you check the title and executions to see what will stay on the title and become your duty after the execution. Is the property subject to attributable holders' easements, limits and/or adverse possession? Do the condition of the property, land use, zoning, etc. fit into your property plans? 

1. This process is buyer beware. You must undertake due diligence with respect to all aspects of the property.

You should check if there are any Federal or Provincial liens on the title. We recommend you do a title search before submitting your bid. A Title Search Report can be ordered from the tender page on www.taxsaleshub.ca. It will be ready in 2 business days. 

We recommend ordering a title search report 5-7 business days before the tender to ensure that it includes all possible new mortgages or other significant interests registered against the property before it was listed for a tax sale.

2. You may drive past the property, but site visits are not available.

Use Google Maps Street View on the property page to have a closer look. Since Google Maps photos could be deprecated and if the property you are interested in is not so far, it's a good idea to drive there and have a look yourself. 

IMPORTANT: YOU ARE NOT ALLOWED TO GO ON PROPERTY TERRITORY.

3. There is no vacant possession. The successful bidder will not receive a key to the property. The successful bidder is responsible for the eviction process if necessary.

4. You should investigate zoning, planning or building restrictions, and work orders.

Some municipal websites have a "Find Your Zoning" page, where you can find out zoning by the roll number. And, of course, you can always go to City Hall and do your research. 

5. You are responsible for any environmental concerns if there are contamination issues with the property.

6. We recommend retaining a lawyer to protect your interests before submitting a bid.