Tax Sale Property in Cumberland, Nova Scotia
RIVER HEBERT
AAN: 306509 ‐ PID: 25058553

Property Unique ID: zA8V1B4P

  • Status: Postponed
  • Sale Type: Public Auction
  • Tax sale date: May 12, 2022
  • Release date: Apr 06, 2022
  • Province: Nova Scotia
  • Municipality: Cumberland
  • Address: RIVER HEBERT
  • AAN: 306509
  • PID: 25058553
  • Property size: 11600 Square Foot
  • Zoning: Unknown
  • Near water? Yes
  • Property on a lake or a bay or a river? Yes
  • Waterfront? No
  • Accessible by public/private road? Yes
  • House or cottage on the property? No
  • Other structure on the property? Unknown
  • Farmland? No
  • Residential? Unknown
  • Commercial or industrial? Unknown
  • Vacant land? Unknown
  • Redeemable 6 months
Title Search Report

Title Search Report

Do you want to know everything about the property before buying it?

Find out what mortgages, liens, etc. will affect the property after the tax sale.

The listed price is for a single pin; for multiple pins within a tax sale, reach out to us to determine the cost of a title search.

$149.95
Available only for active tenders

Become a member and save save more than 50% on every Title Search Summary purchase!

Minimum Bid

$3,071.46  CAD

Assessed Value

Unknown

Share:

  • Property Unique ID: zA8V1B4P
  • Published: April 19, 2022

Sign Up Now to Unlock Hidden Information

Sign Up For Free

Description

Notice is hereby given that the following properties will be sold at PUBLIC AUCTION by the Treasurer of the Municipality of the County of Cumberland on Thursday May 12, 2022 as stated below unless, before the date of the tax sale, the current assessed owner pays off the outstanding balances on the account

The Tax Sale will be held at the Dr. Carson & Marion Murray Community Center located at 6 Main Street, Springhill, Nova Scotia. Bidder registration will begin at 1:00 pm and the sale will start at 2:00 pm.

Terms of the sale: The amount specified below to be paid at the time of sale by cash, money order, certified cheque, lawyer’s trust cheque or debit card. (Before date of sale verify with your bank the amount of your available daily limit.) At the time of the sale, the bidder must also pay $400 to cover preparation and registration of the certificate of sale and tax deed. The balance of your bid is to be paid similarly within three business days of the sale.

Although the Municipality has made all reasonable efforts to confirm ownership, it does not guarantee title or boundaries of the aforementioned property. Prospective Purchasers are responsible to conduct their own searches and surveys or other investigations. In accordance with the Municipality of Cumberland Revenue Collection Policy 18-05, section 9 states that the Municipality will not accept a tender/bid from a tax assessed owner, his/her agent, or his/her immediate family for any sum less than the full amount of taxes, interest and expenses associated with respect to the land

Legal Description

306509; 25058553; RIVER HEBERT, LAND & DWELLING; JEFFREY THOMAS BERRY SUSAN MAE BERRY; $3,071.46

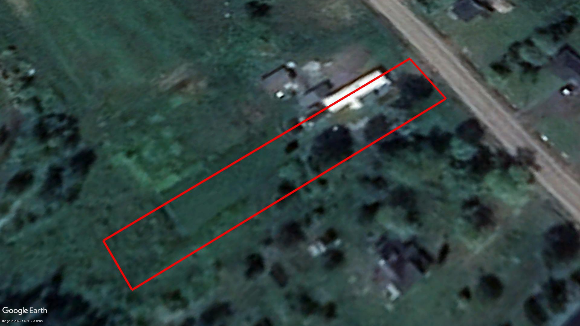
Location on Map

RIVER HEBERT

Nova Scotia tax sale properties buyer's guide

Before you submit a tender you should consider the following:

Before you submit a tender for a tax sale property, be aware of the following: 

The municipality does not hold the title of the estate or any other matter concerning the lands to be sold. The property value can be much higher or much less than the tender minimum. 

It is up to you to examine this property to see if it is a good investment and to investigate the statutory requirements and tax sale provisions. 

Therefore, we highly recommend you check the title and executions to see what will stay on the title and become your duty after the execution. Is the property subject to attributable holders' easements, limits and/or adverse possession? Do the condition of the property, land use, zoning, etc. fit into your property plans? 

1. This process is buyer beware. You must undertake due diligence with respect to all aspects of the property.

You should check if there are any Federal or Provincial liens on the title. We recommend you do a title search before submitting your bid. A Title Search Report can be ordered from the tender page on www.taxsaleshub.ca. It will be ready in 2 business days. 

We recommend ordering a title search report 5-7 business days before the tender to ensure that it includes all possible new mortgages or other significant interests registered against the property before it was listed for a tax sale.

2. You may drive past the property, but site visits are not available.

Use Google Maps Street View on the property page to have a closer look. Since Google Maps photos could be deprecated and if the property you are interested in is not so far, it's a good idea to drive there and have a look yourself. 

IMPORTANT: YOU ARE NOT ALLOWED TO GO ON PROPERTY TERRITORY.

3. There is no vacant possession. The successful bidder will not receive a key to the property. The successful bidder is responsible for the eviction process if necessary.

4. You should investigate zoning, planning or building restrictions, and work orders.

Some municipal websites have a "Find Your Zoning" page, where you can find out zoning by the roll number. And, of course, you can always go to City Hall and do your research. 

5. You are responsible for any environmental concerns if there are contamination issues with the property.

6. We recommend retaining a lawyer to protect your interests before submitting a bid.