Tax Sale Property in Cape Breton, Nova Scotia
1243 FOURCHU RD LAND
AAN: 02788721 ‐ PID: 15619158

Property Unique ID: VNXZXJj5

  • Status: Inactive
  • Sale Type: Public Auction
  • Tax sale date: Dec 07, 2021
  • Release date: Nov 05, 2021
  • Province: Nova Scotia
  • Municipality: Cape Breton
  • Address: 1243 FOURCHU RD LAND
  • AAN: 02788721
  • PID: 15619158
  • Property size: 3.5
  • Zoning: Unknown
  • Near water? Yes
  • Property on a lake or a bay or a river? No
  • Waterfront? No
  • Accessible by public/private road? Yes
  • House or cottage on the property? No
  • Other structure on the property? No
  • Farmland? No
  • Residential? Unknown
  • Commercial or industrial? Unknown
  • Vacant land? Unknown
  • Redeemable 6 months
Title Search Report

Title Search Report

Do you want to know everything about the property before buying it?

Find out what mortgages, liens, etc. will affect the property after the tax sale.

The listed price is for a single pin; for multiple pins within a tax sale, reach out to us to determine the cost of a title search.

$149.95
Available only for active tenders

Become a member and save save more than 50% on every Title Search Summary purchase!

Minimum Bid

$998.23  CAD

Assessed Value

Unknown

Sold Amount

$2,789.00  CAD

Share:

  • Property Unique ID: VNXZXJj5
  • Published: December 02, 2021

Sign Up Now to Unlock Hidden Information

Sign Up For Free

Description

Closing: Submit to the undersigned up to 11:00 A.M., TUESDAY, DECEMBER 7, 2021, the bid must be returned in a sealed envelope in DUPLICATE(2) COPIES and must clearly designate CBRM_T58-2021 to the Procurement Section, Financial Services Suite 102, 320 Esplanade, Sydney, N. S. B1P 7B9.

NOTE: FAXED / ELECTRONIC submissions are NOT acceptable and will not be considered

Questions & Clarifications: Any clarification required by a proponent must be requested in writing to the responsible Buyer indicated in the Solicitation. Such requests must be provided in due time before the closing date in order to allow proper consideration and a reply. The response to a request for clarifications submitted by any Proponent will be posted on the Nova Scotia Government Website as an Addendum.

Withdrawal or Modification of Bid: Proponents may withdraw, replace or modify their bid up until the specified closing time, provided that this is done in writing. Any modification or replacement of a bid must be done in the same format as defined in the Solicitation. NOTE: FAXED / ELECTRONIC modifications are acceptable.

Addenda: All addenda must be acknowledged in bid submission; proponents must monitor the Nova Scotia Government Tenders Website for any addenda that may be issued. CBRM staff no longer maintains plan takers lists, and no longer have knowledge of who has downloaded opportunities.

Rectification Period: Procurement opens and reviews the Bids to determine if all mandatory submission requirements have been met in accordance with the Solicitation Document. If the bid fails to meet the mandatory submission requirements, Procurement will notify the Bidders that there is a second opportunity to meet the mandatory submission requirements within the rectification period of two business days. Once the rectification period deadline passes, Bids still failing to meet the mandatory submission requirements are disqualified and will not be evaluated further. All bids satisfying the mandatory submission requirements are then passed along to the evaluation team for further evaluation. Exceptions to this are technical addenda, if a technical addendum is not acknowledged, the Bidder will be disqualified and there is no rectification allowance for incorrect submittal of a two envelope submission (two PDFs due to Covid-19).

TENDER CONTENTS:

(Section Applies to: Construction Contracts, Services & Sale of Municipal Property ONLY!)

  • Bid Security: Each tender must be accompanied by a money order, certified cheque, or lawyer’s trust cheque for minimum bid amount plus $200.00.

Accompanying Documents: All bids must include the following documents:

  • “Check List” Completed in full /Signed /Dated (Including acknowledgement of addenda)

The Cape Breton Regional Municipality reserves the right to reject any or all tenders or to accept any tender or part thereof considered to be in its best interest.

Legal Description

21-197; 15619158; QUIRK PAUL QUIRK DARLENE GWYNN TERRY; 1243 FOURCHU RD LAND; GABARUS LAKE; $998.23; 6 MTH

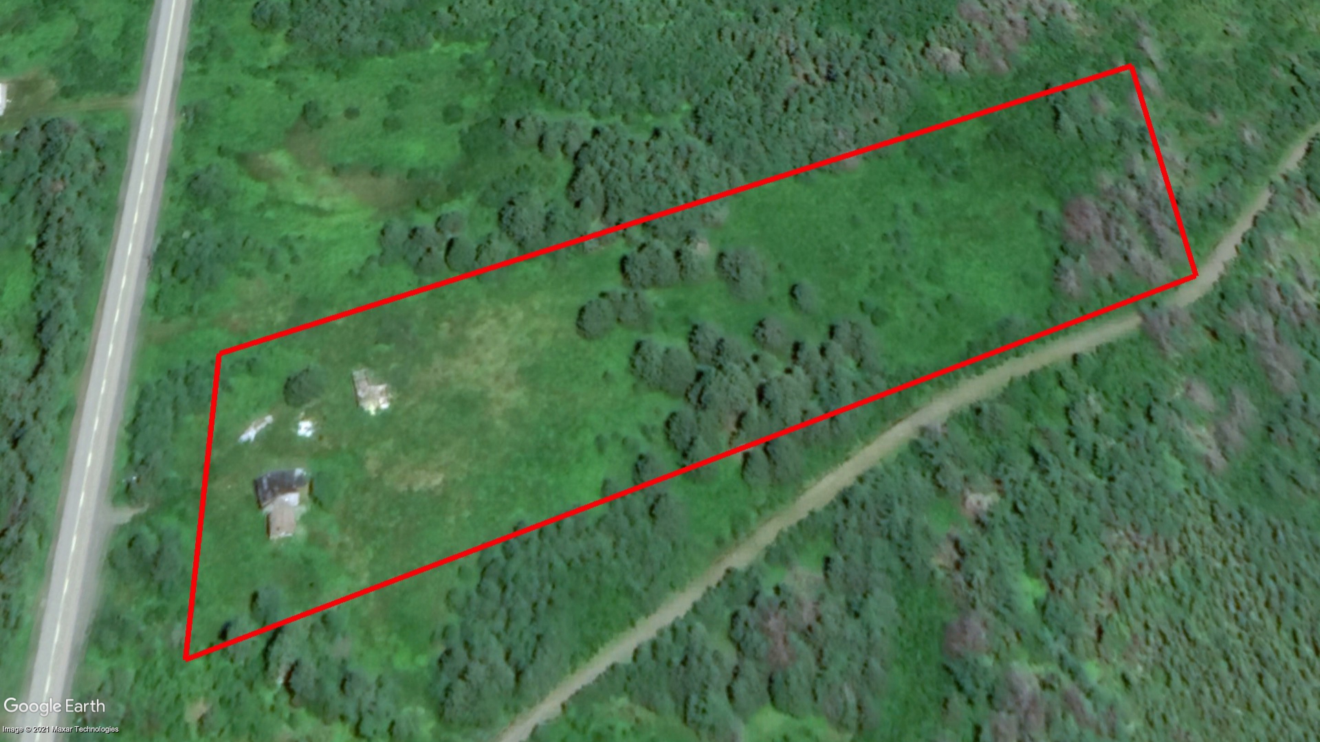
Location on Map

1243 FOURCHU RD LAND

Nova Scotia tax sale properties buyer's guide

Before you submit a tender you should consider the following:

Before you submit a tender for a tax sale property, be aware of the following: 

The municipality does not hold the title of the estate or any other matter concerning the lands to be sold. The property value can be much higher or much less than the tender minimum. 

It is up to you to examine this property to see if it is a good investment and to investigate the statutory requirements and tax sale provisions. 

Therefore, we highly recommend you check the title and executions to see what will stay on the title and become your duty after the execution. Is the property subject to attributable holders' easements, limits and/or adverse possession? Do the condition of the property, land use, zoning, etc. fit into your property plans? 

1. This process is buyer beware. You must undertake due diligence with respect to all aspects of the property.

You should check if there are any Federal or Provincial liens on the title. We recommend you do a title search before submitting your bid. A Title Search Report can be ordered from the tender page on www.taxsaleshub.ca. It will be ready in 2 business days. 

We recommend ordering a title search report 5-7 business days before the tender to ensure that it includes all possible new mortgages or other significant interests registered against the property before it was listed for a tax sale.

2. You may drive past the property, but site visits are not available.

Use Google Maps Street View on the property page to have a closer look. Since Google Maps photos could be deprecated and if the property you are interested in is not so far, it's a good idea to drive there and have a look yourself. 

IMPORTANT: YOU ARE NOT ALLOWED TO GO ON PROPERTY TERRITORY.

3. There is no vacant possession. The successful bidder will not receive a key to the property. The successful bidder is responsible for the eviction process if necessary.

4. You should investigate zoning, planning or building restrictions, and work orders.

Some municipal websites have a "Find Your Zoning" page, where you can find out zoning by the roll number. And, of course, you can always go to City Hall and do your research. 

5. You are responsible for any environmental concerns if there are contamination issues with the property.

6. We recommend retaining a lawyer to protect your interests before submitting a bid.