Tax Sale Property in Barrington, Nova Scotia
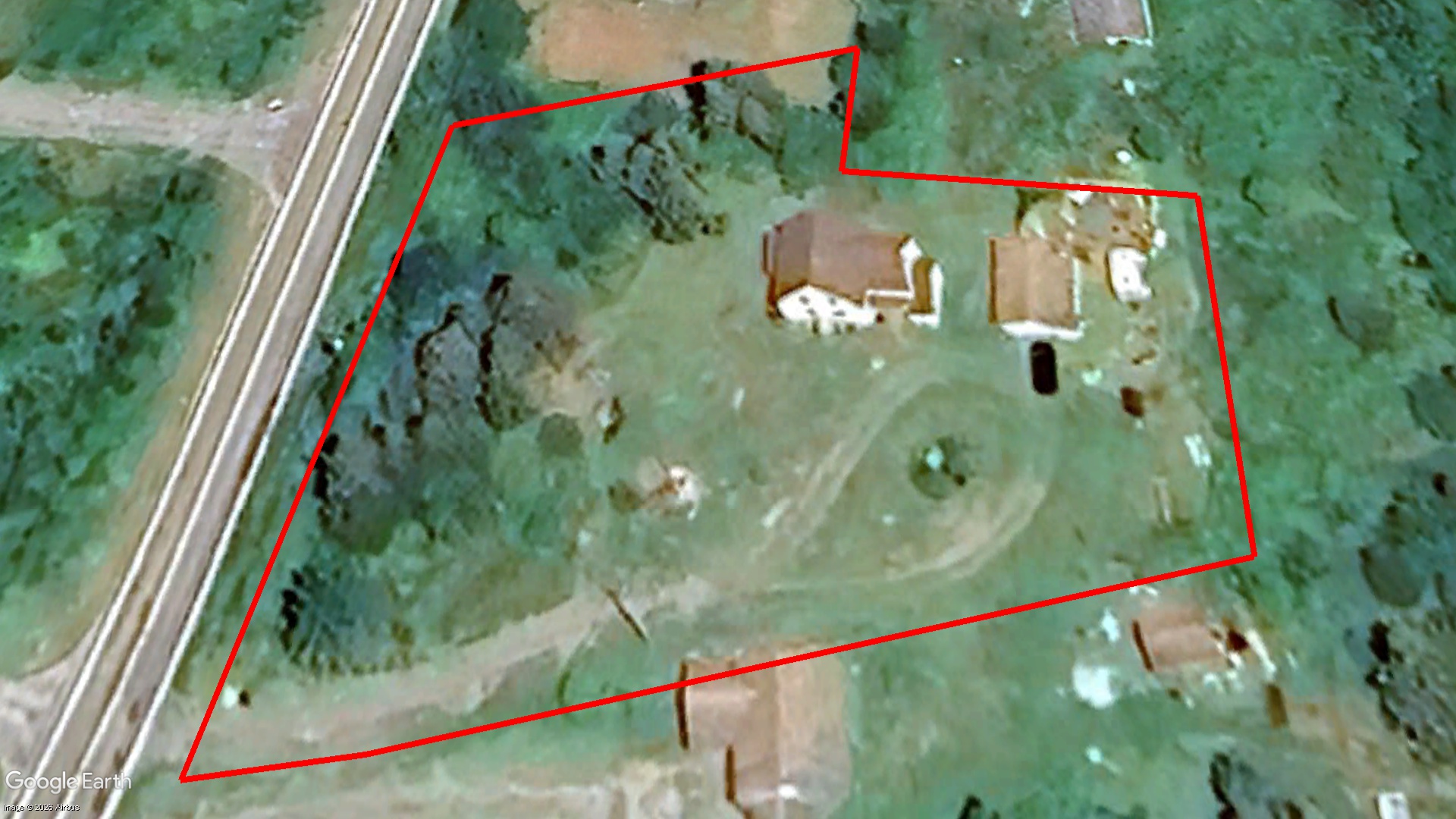
7066 Highway 3 Central Wood’s Harbour, Lot 1, Dwelling, Garage
AAN: 03521133 ‐ PID: 80014319

Property Unique ID: MjrBoeVj

  • Status: Cancelled
  • Sale Type: Public Tender
  • Tax sale date: Feb 11, 2026
  • Release date: Jan 07, 2026
  • Province: Nova Scotia
  • Municipality: Barrington
  • Address: 7066 Highway 3 Central Wood’s Harbour, Lot 1, Dwelling, Garage
  • AAN: 03521133
  • PID: 80014319
  • Property size: 36967 Square Foot
  • Zoning: Unknown
  • Near water? No
  • Property on a lake or a bay or a river? No
  • Waterfront? No
  • Accessible by public/private road? Yes
  • House or cottage on the property? Yes
  • Other structure on the property? Yes
  • Farmland? No
  • Residential? Yes
  • Commercial or industrial? No
  • Vacant land? No
  • Redeemable 6 months
Title Search Report

Title Search Report

Do you want to know everything about the property before buying it?

Find out what mortgages, liens, etc. will affect the property after the tax sale.

The listed price is for a single pin; for multiple pins within a tax sale, reach out to us to determine the cost of a title search.

$149.95
Available only for active tenders

Become a member and save save more than 50% on every Title Search Summary purchase!

Minimum Bid

$4,574.25  CAD

Assessed Value

Unknown

Share:

  • Property Unique ID: MjrBoeVj
  • Published: January 11, 2026

Sign Up Now to Unlock Hidden Information

Sign Up For Free

Description

TAKE NOTICE that the lands and premises situated in the Municipality of the District of Barrington
hereunder described shall be SOLD BY TENDER for arrears of rates and taxes due to the Municipality,
unless the arrears of rates, taxes and expenses hereunder specified are paid in full. The deadline to
receive tenders with a $500 deposit for each bid will be 2:00 p.m., Atlantic Standard Time, February 11,
2026, at the Administrative Centre, 2447 Highway 3, Barrington, NS.

A more complete description of the above noted properties may be seen at the Municipal Office, in the
Administrative Centre in Barrington, NS.

Tender Forms with instructions may be picked up at the Administrative Centre or on the Municipal Website:
barringtonmunicipality.com.

TENDERS WILL BE ACCEPTED AT THE MUNICIPAL OFFICE UNTIL 2 P.M. ATLANTIC STANDARD TIME ON FEBRUARY 11, 2026.

BIDS: Bidder must include a deposit of $500 for each bid submitted in separate envelopes and meet the minimum bid set per property; bid price includes HST (if applicable) the certificate of sale and certificate of discharge/tax deed recording fees. The accepted tender price must be paid within three full business days after being notified of acceptance. Failure to pay the accepted tender price within three full business days will result in the deposit of $500 not being returned. Acceptable methods of payment for the deposit will be personal cheque, certified cheque, money order, bank draft, irrevocable letter of credit or lawyer’s trust cheque. Please do not use cash. In the event of a tie bid, the first tender received will be the winner.

TERMS: All properties are sold “as is where is.” Although the Municipality has made all reasonable efforts to confirm ownership, it does not guarantee title or boundaries of the aforementioned property. Prospective purchasers are responsible to conduct their own searches and surveys or other investigations. The Municipality reserves the right to reject any or all tenders, to accept a tender that is not the highest bid, or to accept any tender which it may consider to be in its best interest. The Municipality also reserves the right to waive formality, informality, or technicality in any tender. Tenders must be received by a qualified bidder.


LIMITATION OF LIABILITY: By submitting a tender, you agree that neither the Municipality, nor any of its employees, officers, agents, elected appointed officials, advisors or representatives will be liable, under any circumstances, for any claim, loss, or damage you may suffer arising out of this tender process.


TENDER OPENING: Tenders will be opened February 11, 2026, at 2:30 p.m. The tender opening will be done in private and formal notice will be given the following business day. The successful bidder will have three full business days after notice to pay in full by cash, certified cheque, money order, bank draft, irrevocable letter of credit or lawyer’s trust cheque. All $500 deposits will be deposited and unsuccessful bidders will be reimbursed at the next finance run.

Legal Description

03521133; 80014319; 7066 Highway 3 Central Wood’s Harbour, Lot 1, Dwelling, Garage; Teresa Goreham; $4574.25

Location on Map

7066 Highway 3 Central Wood’s Harbour, Lot 1, Dwelling, Garage

Nova Scotia tax sale properties buyer's guide

Before you submit a tender you should consider the following:

Before you submit a tender for a tax sale property, be aware of the following: 

The municipality does not hold the title of the estate or any other matter concerning the lands to be sold. The property value can be much higher or much less than the tender minimum. 

It is up to you to examine this property to see if it is a good investment and to investigate the statutory requirements and tax sale provisions. 

Therefore, we highly recommend you check the title and executions to see what will stay on the title and become your duty after the execution. Is the property subject to attributable holders' easements, limits and/or adverse possession? Do the condition of the property, land use, zoning, etc. fit into your property plans? 

1. This process is buyer beware. You must undertake due diligence with respect to all aspects of the property.

You should check if there are any Federal or Provincial liens on the title. We recommend you do a title search before submitting your bid. A Title Search Report can be ordered from the tender page on www.taxsaleshub.ca. It will be ready in 2 business days. 

We recommend ordering a title search report 5-7 business days before the tender to ensure that it includes all possible new mortgages or other significant interests registered against the property before it was listed for a tax sale.

2. You may drive past the property, but site visits are not available.

Use Google Maps Street View on the property page to have a closer look. Since Google Maps photos could be deprecated and if the property you are interested in is not so far, it's a good idea to drive there and have a look yourself. 

IMPORTANT: YOU ARE NOT ALLOWED TO GO ON PROPERTY TERRITORY.

3. There is no vacant possession. The successful bidder will not receive a key to the property. The successful bidder is responsible for the eviction process if necessary.

4. You should investigate zoning, planning or building restrictions, and work orders.

Some municipal websites have a "Find Your Zoning" page, where you can find out zoning by the roll number. And, of course, you can always go to City Hall and do your research. 

5. You are responsible for any environmental concerns if there are contamination issues with the property.

6. We recommend retaining a lawyer to protect your interests before submitting a bid.