Tax Sale Property in Restigouche, New Brunswick
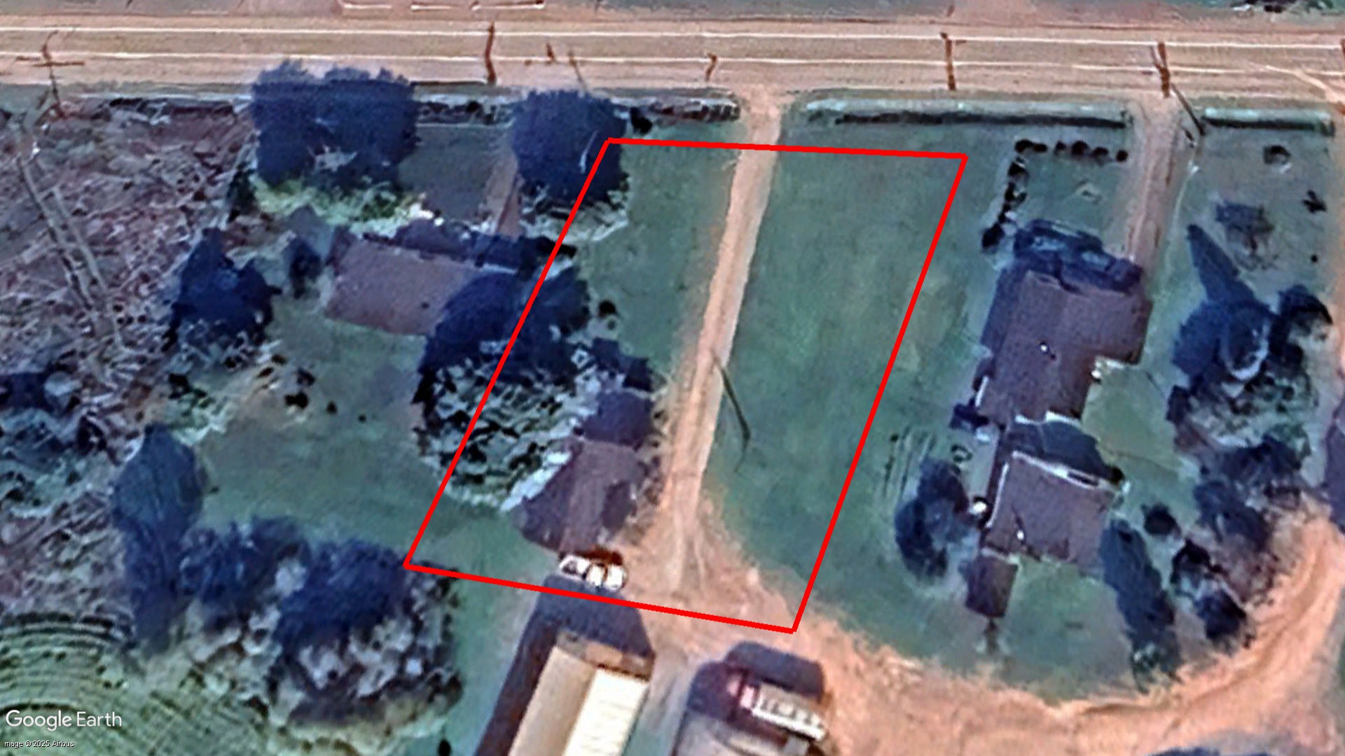
2715 Main Street, Belledune
PAN: 03401116 ‐ PID: 50143320

Property Unique ID: rAEnVmxN

  • Status: Inactive
  • Sale Type: Public Auction
  • Tax sale date: Jul 15, 2025
  • Release date: Jul 05, 2025
  • Province: New Brunswick
  • Municipality: Restigouche
  • Address: 2715 Main Street, Belledune
  • PAN: 03401116
  • PID: 50143320
  • Property size: Unknown
  • Zoning: Unknown
  • Near water? No
  • Property on a lake or a bay or a river? No
  • Waterfront? No
  • Accessible by public/private road? Yes
  • House or cottage on the property? Yes
  • Other structure on the property? Unknown
  • Farmland? No
  • Residential? Yes
  • Commercial or industrial? Unknown
  • Vacant land? No
  • Redeemable 30 days
Title Search Report

Title Search Report

Do you want to know everything about the property before buying it?

Find out what mortgages, liens, etc. will affect the property after the tax sale.

The listed price is for a single pin; for multiple pins within a tax sale, reach out to us to determine the cost of a title search.

$149.95
Available only for active tenders

Become a member and save save more than 50% on every Title Search Summary purchase!

Minimum Bid

$1.00  CAD

Assessed Value

Unknown

Share:

  • Property Unique ID: rAEnVmxN
  • Published: July 16, 2025

Sign Up Now to Unlock Hidden Information

Sign Up For Free

Description

Date: July 15, 2025 at 1:00 p.m.

Location:  Best Western Plus, 150 Main Street, in the City of Bathurst

The successful purchaser will be responsible for the payment of H.S.T., (where applicable), and all document preparation fees and transfer taxes, after the 30 day redemption period.

Every effort is made to provide accurate and complete information. The Department of Finance and Treasury Board makes no claims, promises or guarantees about the accuracy, completeness, or adequacy of the contents of this Web site and expressly disclaims liability for errors and omissions.

If you have any questions please contact the Tax Sale Unit at 1-800-669-7070 or Salesftb-fctventes@gnb.ca

Public Auction Tax Sale - Terms and Conditions

  1. AUCTION: The auction is conducted for the sale of real properties with delinquent taxes in accordance with the provisions of the Real Property Tax Act and are subject to a thirty-day redemption period. 
  2. REGISTRATION: The auction is open to registered bidders only. Registration is conducted onsite and requires submission of government issued photo identification, proof of address, and any other documents deemed necessary by the auction organizers.
  3. BIDDING: The highest bidder acknowledged by the auctioneer will be the purchaser. The auctioneer has sole and absolute discretion in the case of error or dispute with respect to bidding, and whether during or after the sale, to determine the successful bidder, to reopen the bidding, to cancel the sale or to reoffer the property in dispute.
  4. BINDING CONTRACT: All bids are irrevocable, and the successful bidder is legally obligated to complete the purchase.
  5. PAYMENT: Full Payment is required immediately following the sale by cash or cheque at the local Service New Brunswick Office.  
  6. NON-PERFORMANCE: Failure to pay the purchase price in accordance with these terms and conditions may result in the bidder being disqualified from future auctions and/or legal action by the Province of New Brunswick for the recovery of costs and damages.
  7. AS IS SALE: Real property listed for auction is sold on an “as is, where is” basis and the Province of New Brunswick makes no representations and gives no warranty whatsoever as to the property’s value, condition or fitness, the absence or presence of environmental contamination, vacant possession, access, or the suitability of the property for any intended use by the successful bidder.
  8. DUE DILIGENCE: It is the sole responsibility of the bidder to make such legal, factual and other inquiries, inspections and investigations as the bidder considers necessary prior to bidding on the property.
  9. TAXES: All bids are in Canadian dollars, and the successful bidder is responsible for the payment of applicable taxes (including real property transfer tax) and other fees.
  10. RESERVE PRICES: The Province of New Brunswick reserves the right to accept or reject any and all bids, add or remove property at any time without notice, and discontinue the auction at any time without notice.
  11. FOREIGN OWNERSHIP RESTRICTIONS: The Government of Canada’s Prohibition on the Purchase of Residential Property by Non-Canadians Act imposes restrictions on the purchase of real property by non-Canadians and non-qualified Canadian organizations. It is the sole responsibility of the bidder to make necessary enquiries, including without limitation, consulting with legal counsel prior to the auction, to ensure the bidder is legally eligible to purchase the property.
  12. JURISDICTION: This auction will be conducted in accordance with the laws of the Province of New Brunswick.
  13. BE ADVISED: The use of cameras or recording devices is not permitted during the auction.

Legal Description

Jean Marie Landry Estate; 2715 Main Street Belledune; Lot and Residence; 2025; 03401116; 50143320

Location on Map

2715 Main Street, Belledune

New Brunswick tax sale properties buyer's guide

Before you go for a tax sale public auction you should consider the following:

Before you make a final decision to buy a tax sale property, be aware of the following: 

The municipality does not hold the title of the estate or any other matter concerning the lands to be sold. The property value can be much higher or much less than the minimum bid. 

It is up to you to examine this property to see if it is a good investment and to investigate the statutory requirements and tax sale provisions. 

Therefore, we highly recommend you to check the title and executions to see what will stay on the title and become your duty after the execution. Is the property subject to attributable holders' easements, limits and/or adverse possession? Do the condition of the property, land use, zoning, etc. fit into your property plans? 

  1. This process is buyer beware. You must undertake due diligence with respect to all aspects of the property.

Therefore, it is important to do your homework before a public auction. In order to get as many details about the property as possible, you will need to obtain an up-to-date Title Search Report. Members can order reports directly from www.taxsaleshub.ca. An in-house title report specialist will prepare a "Title Search Report" in simple, easy-to-understand language. The Report will tell you if any encumbrances will remain against the property after the tax sale. 

By having a Title Search Report updated 1-2 business days before the auction is going to be held, you will be able to see if any new mortgages or other significant interests against the property have been registered since your first search was conducted. You might find that they have and decide not to go for a public auction. 

  1. You may drive past the property, but site visits are not available.

Use Google Maps Street View on the property page to have a closer look. Since Google Maps photos could be deprecated and if the property you are interested in is not so far, it's a good idea to drive there and have a look yourself. 

IMPORTANT: YOU ARE NOT ALLOWED TO GO ON PROPERTY TERRITORY. 

  1. There is no vacant possession. The successful bidder will not receive a key to the property. The successful bidder is responsible for the eviction process if necessary.
  2. You should investigate zoning, planning or building restrictions, and work orders.

Some municipal websites have a "Find Your Zoning" page, where you can find out zoning by the roll number. And, of course, you can always go to City Hall and do your research. 

  1. We recommend retaining a lawyer to protect your interests before submitting a bid.
  2. Decide how much you are willing to pay for the property

Since the tax sale is held as a public auction, others will likely be bidding. The person with the highest bid will be permitted to purchase the property. No one else will be given the opportunity to make the purchase. You should decide the maximum amount you are willing to pay for a tax sale. The amount has to be no less than the minimum bid set per property.