Tax Sale Property in Quesnel, British Columbia
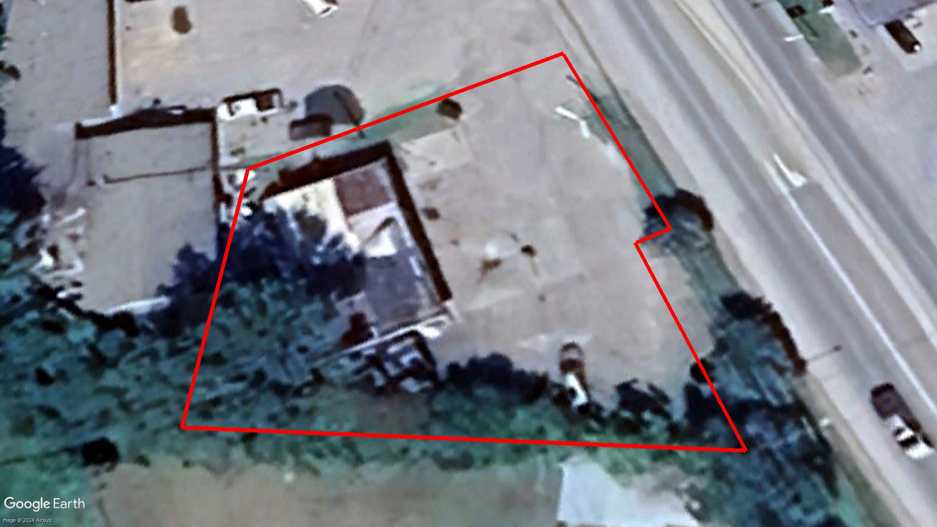
915 FRONT ST
Folio: 470-0006157.000

Property Unique ID: 9jD2kedN

  • Status: Inactive
  • Sale Type: Public Auction
  • Tax sale date: Oct 07, 2024
  • Release date: Sep 19, 2024
  • Province: British Columbia
  • Municipality: Quesnel
  • Address: 915 FRONT ST
  • Folio: 470-0006157.000
  • Property size: Unknown
  • Zoning: Unknown
  • Near water? Yes
  • Property on a lake or a bay or a river? Yes
  • Waterfront? Yes
  • Accessible by public/private road? Yes
  • House or cottage on the property? Yes
  • Other structure on the property? Unknown
  • Farmland? No
  • Residential? Unknown
  • Commercial or industrial? Unknown
  • Vacant land? No
  • Redeemable 12 months
Title Search Report

Title Search Report

Do you want to know everything about the property before buying it?

Find out what mortgages, liens, etc. will affect the property after the tax sale.

The listed price is for a single pin; for multiple pins within a tax sale, reach out to us to determine the cost of a title search.

$149.95
Available only for active tenders

Become a member and save save more than 50% on every Title Search Summary purchase!

Minimum Bid

$11,360.53  CAD

Assessed Value

Unknown

Share:

  • Property Unique ID: 9jD2kedN
  • Published: September 22, 2024

Sign Up Now to Unlock Hidden Information

Sign Up For Free

Description

Date: Monday, October 7, 2024
Time: 10:00 am
Location: Quesnel City Hall Council Chambers, 410 Kinchant Street

If the delinquent taxes are paid before 10:00 am on the tax sale day, they will be removed from the list of properties.

TAX SALE ADVERTISING

Properties that have delinquent balances and are included in the annual tax sale will be listed in the local newspaper not less than 3, or more than 10 days, prior to the Tax Sale.

Legal Description

470-0006157.000; LOT: A; PLAN NUMBER: PGP16943; DISTRICT LOT: 385; 915 FRONT ST; 11,360.53

Location on Map

915 FRONT ST

British Columbia tax sale properties buyer's guide

Before you go for a tax sale public auction you should consider the following:

Before you make a final decision to buy a tax sale property, be aware of the following: 

The municipality does not hold the title of the estate or any other matter concerning the lands to be sold. The property value can be much higher or much less than the minimum bid. 

It is up to you to examine this property to see if it is a good investment and to investigate the statutory requirements and tax sale provisions. 

Therefore, we highly recommend you to check the title and executions to see what will stay on the title and become your duty after the execution. Is the property subject to attributable holders' easements, limits and/or adverse possession? Do the condition of the property, land use, zoning, etc. fit into your property plans? 

  1. This process is buyer beware. You must undertake due diligence with respect to all aspects of the property.

Therefore it is important to do your homework before a public auction. 

  1. You may drive past the property, but site visits are not available.

Use Google Maps Street View on the property page to have a closer look. Since Google Maps photos could be deprecated and if the property you are interested in is not so far, it's a good idea to drive there and have a look yourself. 

IMPORTANT: YOU ARE NOT ALLOWED TO GO ON PROPERTY TERRITORY. 

  1. There is no vacant possession. The successful bidder will not receive a key to the property. The successful bidder is responsible for the eviction process if necessary.
  2. You should check if there are any Federal or Provincial liens on title
    . We recommend you do a title search before going for a public auction.

A Title Search Report can be ordered from the tender page on www.taxsaleshub.ca. It'll be ready in 1-2 business days. Most charges will be removed if the property is transferred at the end of the year of redemption, but ones that will be transferred to you as the new owner will be any senior government liens (i.e. Province of BC or Government of Canada). All other mortgages and charges will be removed before ownership is transferred to you. 

  1. You should investigate zoning, planning or building restrictions, and work orders.

Some municipal websites have a "Find Your Zoning" page, where you can find out zoning by the roll number. And, of course, you can always go to City Hall and do your research. 

  1. You are responsible for any environmental concerns if there are contamination issues with the property.
  2. We recommend retaining a lawyer to protect your interests before submitting a bid.

In order to determine what interests will affect a property after a tax sale, you will need to obtain an up-to-date title search report. Members can order reports directly from our site. An in-house title report specialist will prepare a "Title Search Report" in simple, easy-to-understand language. The Report will tell you if any encumbrances will remain against the property after the tax sale. 

By having a Title Search Report updated 1-2 business days before the auction is going to be held, you will be able to see if any new mortgages or other significant interests against the property have been registered since your first search was conducted. You might find that they have and decide not to go for a public auction. 

  1. Decide how much you are willing to pay for the property

Since the tax sale is held as a public auction, others will likely be bidding. The person with the highest bid will be permitted to purchase the property. No one else will be given the opportunity to make the purchase. You should decide the maximum amount you are willing to pay for a tax sale. The amount has to be no less than the minimum bid set per property.