Tax Sale Property in Castor, Alberta
5413 – 51 Street
LINC: 0017570079 ‐ SHORT LEGAL: 4543NY;21;10

Property Unique ID: Y41aRo4r

  • Status: Inactive
  • Sale Type: Public Auction
  • Tax sale date: Mar 01, 2021
  • Release date: Jan 15, 2021
  • Province: Alberta
  • Municipality: Castor
  • Address: 5413 – 51 Street
  • LINC: 0017570079
  • SHORT LEGAL: 4543NY;21;10
  • Property size: Unknown
  • Zoning: Unknown
  • Near water? No
  • Property on a lake or a bay or a river? No
  • Waterfront? No
  • Accessible by public/private road? Yes
  • House or cottage on the property? No
  • Other structure on the property? No
  • Farmland? No
  • Residential? Unknown
  • Commercial or industrial? Unknown
  • Vacant land? Unknown
  • Redeemable No
Title Search Report

Title Search Report

Do you want to know everything about the property before buying it?

Find out what mortgages, liens, etc. will affect the property after the tax sale.

The listed price is for a single pin; for multiple pins within a tax sale, reach out to us to determine the cost of a title search.

$149.95
Available only for active tenders

Become a member and save save more than 50% on every Title Search Summary purchase!

Minimum Bid

$0.00

Assessed Value

Unknown

Share:

  • Property Unique ID: Y41aRo4r
  • Published: January 21, 2021

Sign Up Now to Unlock Hidden Information

Sign Up For Free

Description

The Town of Castor will offer for sale, by public auction, in the Council Chambers of the Castor Town Office, Castor, Alberta, on Monday, March 1, 2021, at 10:00 a.m.

The property is subject to the Tax Sale if the total property taxes remain outstanding prior to the Tax Sale.

The parcel will be offered for sale, subject to a reserve bid and to the reservations and conditions contained in the existing certificate of title.

The land is being offered for sale on an “as is, where is” basis and the Town of Castor makes no representation and gives no warranty whatsoever as to the adequacy of services, soil conditions, land use districting, building and development conditions, absence or presence of environmental contamination, or the developability of the subject land for any intended use by the Purchaser. No bid will be accepted where the bidder attempts to attach conditions precedent to the sale of any parcel. No terms and conditions of sale will be considered other than those specified by Town of Castor.

The Town of Castor may, after the public auction, become the owner of any parcel of land that is not sold at the public auction.

Terms: one-third cash or certified cheque is required on the date of sale and the balance within 30 days.

All sales are subject to current taxes.

GST may apply on properties sold at the public auction.

Redemption may be effected by payment of all arrears of taxes and costs at any time prior to the date of the sale. Property may be deleted from this sale as the tax arrears and costs are paid.

Legal Description

172049029; Current Title; 0017570079; 4543NY;21;10; Surface; 16/02/2017; 18/04/2019

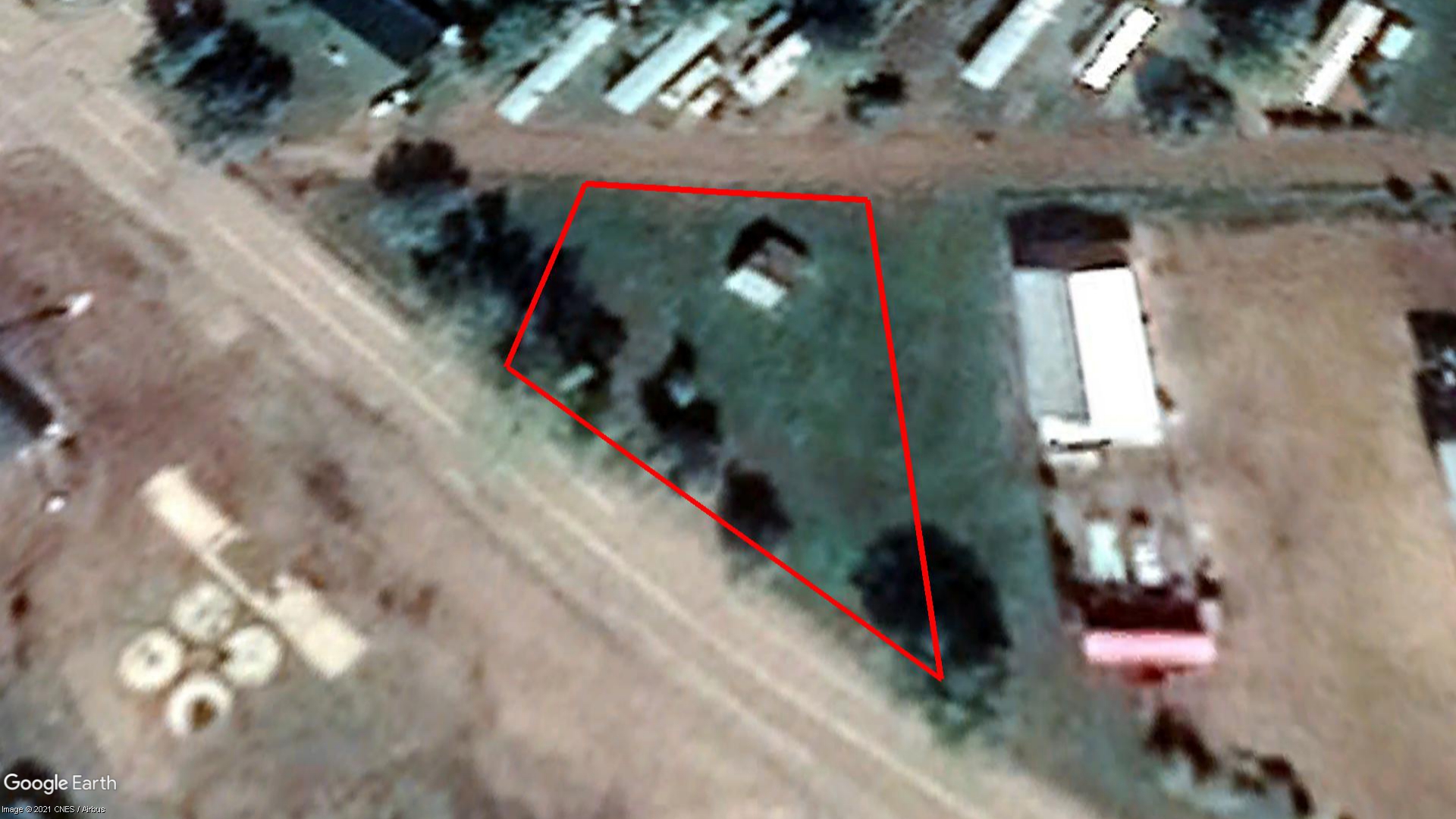
Location on Map

5413 – 51 Street

Alberta tax sale properties buyer's guide

Before you go for a tax recovery public auction you should consider the following:

Before you make a final decision to buy a property at a public auction, be aware that it is up to you to examine this property to see if it is a good investment and to investigate the statutory requirements and tax recovery public auction provisions. Is the property subject to attributable holders' easements, limits and/or adverse possession? Does the condition of the property, land use, zoning, etc. fit into your property plans? 

  1. This process is buyer beware. You must undertake due diligence with respect to all aspects of the property.

Therefore, it is important to do your homework before a public auction. We highly recommend you to check the title and encumbrances to see what will stay on the title and become your duty after the public auction.  

  1. You should check if there are any Federal or Provincial liens on title. We recommend you do a title search before going for a public auction.

A Title Search Report can be ordered from the tender page on www.taxsaleshub.ca. It'll be ready in 1-2 business days. The Report will tell you if any encumbrances will remain against the property after the tax sale. Be aware that if you purchase a property, you will acquire the land free of all encumbrances, except Crown interest, irrigation or drainage debentures and other items listed in section 423(1) of the Alberta Municipal Government Act.   

  1. You may drive past the property, but site visits are not available.

Use Google Maps Street View on the property page to have a closer look. Since Google Maps photos could be deprecated and if the property you are interested in is not so far, it's a good idea to drive there and have a look yourself. 

IMPORTANT: YOU ARE NOT ALLOWED TO GO ON PROPERTY TERRITORY. 

  1. There is no vacant possession. The successful bidder will not receive a key to the property. The successful bidder is responsible for the eviction process if necessary.
  2. You should investigate zoning, planning or building restrictions, and work orders.

Some municipal websites have a "Find Your Zoning" page, where you can find out zoning by the roll number. And, of course, you can always go to City Hall and do your research. 

  1. We recommend retaining a lawyer to protect your interests before submitting a bid.

In order to determine what interests will affect a property after a public auction, you will need to obtain an up-to-date title search report. Members can order reports directly from our site. An in-house title report specialist will prepare a "Title Search Report" in simple, easy-to-understand language. The Report will tell you if any encumbrances will remain against the property after the public auction. 

By having a Title Search Report updated 1-2 business days before the auction is going to be held, you will be able to see if any new mortgages or other significant interests against the property have been registered since your first search was conducted. You might find that they have and decide not to go for a public auction. 

  1. Decide how much you are willing to pay for the property

It’s up to the municipality to announce or not to announce the reserve selling price (minimum auction bid). The reserve bid is set at a level that is as close as reasonably possible to the market value of the parcel. Before going for a public auction, you should decide the maximum amount you are willing to pay for a property.